〒907-1541 沖縄県 八重山郡 竹富町 字上原 870-255-3-1  TEL:080-6480-4623

■今日はシュノーケル

【投稿日:2026年3月23日 18:50】

▼△▼△▼△▼△▼△▼△▼△▼△▼△▼△▼

※2026年3月より一部の決済方法がご利用不可となります。

詳しくはこちらをご覧ください。

 

その他お知らせしたい事が多くなってきたので

【お知らせ一覧】 にまとめました。 ※2026年2月15日更新

特に初めて遊びなーらをご利用になる方はぜひ1度ご覧ください。

 

▼△▼△▼△▼△▼△▼△▼△▼△▼△▼△▼

 

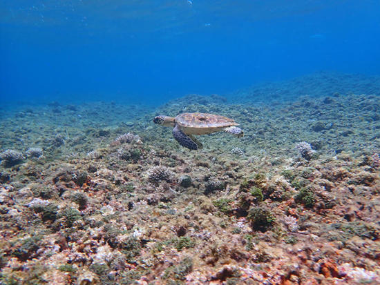
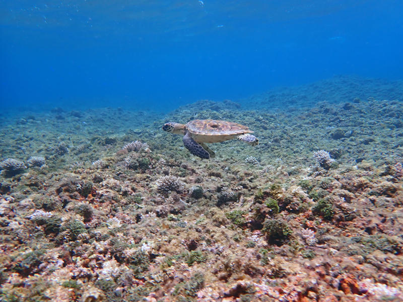
3/23のログです。

今日はシュノーケルツアーで海に出ておりました☆

春休みに入ってだいぶ海況も安定してきたので、安心してシュノーケルもできますね。

 

P3230910.jpg

 

P3230906.jpg

 

P3230903.jpg

 

P3230897.jpg

 

P3230889.jpg

 

P3230890.jpg

 

P3230893.jpg

 

P3230921.jpg

あいにくの曇り空でしたが、海況はすごく良かったのでポイントも選び放題でした。

1番見たかったカメもバッチリ見れて大満足なツアーとなりました☆

 

ご参加いただきありがとうございました。

ぜひまた遊びにいらしてください。

 

※まだまだ北風が吹く日が多いです。これから西表に来られる方は【日焼け対策】と【防寒対策】をしっかりとお願いします。

 

  前のブログ→『日中はダイビング、夜はホタル

  次のブログ→『3/22のライトトラップ

 

7123207ffbddcee6475c51c772f327ad72801120.gif

 

▼△▼△▼△▼△▼△▼△▼△▼△▼△▼△▼

 

NewデザインのTシャツを作りました

P3142075.jpg

1枚¥2,500で販売しています。

詳しくはこちらをご覧ください

 

▼△▼△▼△▼△▼△▼△▼△▼△▼△▼△▼

 

天気:くもり

気温:27℃

水温:24~25℃

風向:南西

波高:1,5m → 1,0m

 

▼△▼△▼△▼△▼△▼△▼△▼△▼△▼△▼

 

西表島ダイビングサービス 遊びなーら

 

〒907-1541

沖縄県八重山郡竹富町字上原870-255-3-1

TEL:080-6480-4623

HP:http://ashibina-ra.com

 

▼△▼△▼△▼△▼△▼△▼△▼△▼△▼△▼

■過去の記事一覧

2026年3月24日 07:40 ・・・・・3/22のライトトラップ

2026年3月23日 18:50 ・・・・・今日はシュノーケル

2026年3月23日 15:07 ・・・・・日中はダイビング、夜はホタル

2026年3月13日 21:36 ・・・・・船底塗料を塗ります

2026年3月10日 22:00 ・・・・・大荒れでしたが1本だけダイビング

2026年3月 2日 22:26 ・・・・・マングローブ&ウミウシ狙い

2026年2月28日 17:47 ・・・・・2月ラスト!!

2026年2月26日 23:32 ・・・・・2/26のライトトラップ

2026年2月25日 17:20 ・・・・・2/19~2/23のライトトラップ

2026年2月24日 20:43 ・・・・・撮影終了!!

2026年2月22日 17:01 ・・・・・スミレヤッコ

2026年2月21日 23:59 ・・・・・遂に出た!!リュウグウノツカイ!!!

2026年2月20日 19:38 ・・・・・カメ&大物狙い

2026年2月19日 17:28 ・・・・・海況が良くなったので...

2026年2月18日 17:43 ・・・・・今日も撮影

2026年2月17日 21:05 ・・・・・4年ぶりにカズくん来島!!

2026年2月15日 16:15 ・・・・・決済方法の変更について

2026年2月14日 15:46 ・・・・・今日はやまねこマラソンの日

2026年2月12日 13:48 ・・・・・淡水ハゼ調査

2026年2月 9日 19:45 ・・・・・今年1番の寒さ

2026年2月 4日 17:23 ・・・・・海況が良い日を選んでダイビング

2026年2月 3日 19:29 ・・・・・フィリピンツアー その8 (延長戦)

2026年1月30日 19:52 ・・・・・フィリピンツアー その7 (最終回)

2026年1月30日 09:16 ・・・・・フィリピンツアー その6

2026年1月29日 20:15 ・・・・・フィリピンツアー その5

2026年1月29日 08:40 ・・・・・フィリピンツアー その4

2026年1月28日 19:19 ・・・・・フィリピンツアー その3

2026年1月28日 08:51 ・・・・・フィリピンツアー その2

2026年1月27日 13:50 ・・・・・フィリピンツアー その1

2026年1月15日 14:33 ・・・・・遅ればせながら2026年初ログ

2025年12月25日 11:49 ・・・・・2025年を振り返る

2025年12月21日 07:45 ・・・・・2025年ラストダイブ!!

2025年12月11日 23:58 ・・・・・2日分のログ

2025年12月 7日 19:27 ・・・・・ベタ凪になりました◎

2025年12月 6日 15:34 ・・・・・天気は良いが風が強い...

2025年12月 4日 08:25 ・・・・・10年ぶりのダイビング

2025年12月 2日 19:48 ・・・・・超マニアックな世界

2025年11月29日 21:19 ・・・・・海況が良くなりました◎

2025年11月28日 20:29 ・・・・・テンジクダイと汽水域

2025年11月24日 19:27 ・・・・・超マクロDay

2025年11月23日 17:42 ・・・・・想像以上に回復しました!!

2025年11月22日 18:03 ・・・・・10日ぶりのダイビング

2025年11月19日 19:33 ・・・・・冬の海

2025年11月11日 22:01 ・・・・・3日間ありがとうございました

2025年11月10日 19:26 ・・・・・大荒れでしたが...

2025年11月 9日 21:12 ・・・・・久しぶりの...

2025年11月 8日 17:49 ・・・・・今日はシュノーケル

2025年11月 6日 15:45 ・・・・・調査ダイビング

2025年11月 4日 22:19 ・・・・・サンゴ保全活動

2025年11月 3日 16:27 ・・・・・続・今日も風が強い...

2025年11月 1日 20:14 ・・・・・今日も風が強い...

2025年10月31日 21:00 ・・・・・ツアー再開!!

2025年10月30日 17:37 ・・・・・船のメンテナンス

2025年10月27日 18:47 ・・・・・10/4~10/6のライトトラップ

2025年10月26日 20:05 ・・・・・Sさんの写真 その4

2025年10月25日 19:50 ・・・・・Sさんの写真 その3

2025年10月24日 16:20 ・・・・・Sさんの写真 その2

2025年10月23日 21:25 ・・・・・Sさんの写真 その1

2025年10月21日 20:26 ・・・・・サンゴモニタリング調査

2025年10月19日 21:17 ・・・・・雨の日はやっぱりニシキテグリ

2025年10月18日 22:59 ・・・・・3ダイブ&ライトトラップ

2025年10月15日 21:40 ・・・・・今日もトカキンからスタート!!

2025年10月14日 19:48 ・・・・・10/13のログ 大当たりな1日!!

2025年10月13日 19:34 ・・・・・10/12のログ

2025年10月12日 21:15 ・・・・・10/11のログ

2025年10月11日 20:29 ・・・・・10/8のログ

2025年10月10日 20:32 ・・・・・10/7のログ

2025年10月 9日 20:19 ・・・・・10/6のログ ライトトラップ最終日

2025年10月 8日 21:08 ・・・・・10/5のログ ライトトラップ2日目

2025年10月 7日 20:00 ・・・・・10/4のログ ライトトラップ1日目

2025年10月 3日 20:38 ・・・・・10月ですがベタ凪♪

2025年9月30日 20:06 ・・・・・調査ダイブ

2025年9月29日 22:27 ・・・・・ハゼたくさん!!

2025年9月28日 20:40 ・・・・・9/27~9/28のログ

2025年9月25日 22:32 ・・・・・海況も良くなりました◎

2025年9月22日 20:11 ・・・・・ツアー再開!!

2025年9月21日 22:08 ・・・・・台風前ラスト

2025年9月21日 06:55 ・・・・・大忙しでした...

2025年9月18日 20:38 ・・・・・ヒナイ&汽水域

2025年9月17日 20:29 ・・・・・今日は体験ダイビング

2025年9月16日 17:58 ・・・・・ウミウシ探し最終日

2025年9月15日 16:38 ・・・・・ウミウシ探し4日目

2025年9月14日 19:54 ・・・・・ウミウシ探し3日目

2025年9月13日 19:27 ・・・・・ウミウシ探し2日目

2025年9月12日 16:49 ・・・・・ウミウシ探し1日目

2025年9月11日 17:31 ・・・・・今日は体験ダイビング

2025年9月10日 17:59 ・・・・・撮影のお手伝い最終日

2025年9月 9日 17:20 ・・・・・撮影のお手伝い6日目

2025年9月 8日 19:45 ・・・・・撮影のお手伝い5日目

2025年9月 7日 19:17 ・・・・・撮影のお手伝い4日目

2025年9月 6日 21:56 ・・・・・シュノーケル&撮影のお手伝い3日目

2025年9月 5日 16:17 ・・・・・撮影のお手伝い2日目

2025年9月 4日 22:05 ・・・・・撮影のお手伝い

2025年9月 3日 21:54 ・・・・・今日は4ダイブ

2025年9月 2日 18:20 ・・・・・石垣で潜ってきました

2025年9月 1日 12:55 ・・・・・8/31のログ

2025年8月31日 21:24 ・・・・・オオゴチョウイソハゼ

2025年8月30日 16:50 ・・・・・トカキン大当たり!!

2025年8月29日 17:00 ・・・・・リクエストはバラクーダ!!

2025年8月28日 21:01 ・・・・・シュノーケルツアー×2

2025年8月27日 17:39 ・・・・・のんびりダイビング

2025年8月25日 22:01 ・・・・・体験ダイビングでカメ狙い

2025年8月24日 23:36 ・・・・・ダイビング&シュノーケル 2日目

2025年8月23日 17:30 ・・・・・午前&午後 半日シュノーケル

2025年8月22日 19:15 ・・・・・リクエストはサンゴ!!

2025年8月21日 19:45 ・・・・・大人はダイビング、子供はシュノーケル

2025年8月20日 19:53 ・・・・・リクエストはニシキテグリyg

2025年8月19日 20:42 ・・・・・のんびりダイブからのトカキン

2025年8月18日 17:36 ・・・・・今日はワイド

2025年8月17日 19:56 ・・・・・汽水域で3本!!

2025年8月16日 18:14 ・・・・・ウミウシ探しリベンジ

2025年8月15日 19:42 ・・・・・ワイド 時々 ウミウシ探し

2025年8月14日 19:26 ・・・・・かなり回復しました◎

2025年8月14日 07:08 ・・・・・ライトトラップのログ

2025年8月13日 16:00 ・・・・・8/12~8/13のログ

2025年8月13日 09:22 ・・・・・8/11のログ

2025年8月12日 20:04 ・・・・・8/10のログ

2025年8月12日 13:36 ・・・・・8/9のログ

2025年8月 8日 18:11 ・・・・・バラス西・バラス東・鳩間島

2025年8月 7日 18:12 ・・・・・シュノーケル&ダイビング

2025年8月 6日 22:50 ・・・・・マンジュウyg再登場!!

2025年8月 5日 18:19 ・・・・・ヒナイ・ヒナイ・トカキン

2025年8月 5日 01:20 ・・・・・シュノーケル、マングローブ、ライトトラップ

2025年8月 3日 18:39 ・・・・・オイル交換

2025年8月 3日 14:32 ・・・・・8/2のログ

2025年7月31日 18:20 ・・・・・7/31~8/1のログ

2025年7月30日 18:52 ・・・・・津波注意報が出る前に...

2025年7月29日 17:09 ・・・・・続・ハゼ多めです

2025年7月28日 20:54 ・・・・・ハゼ多めです

2025年7月27日 19:30 ・・・・・滅多に潜らないポイント

2025年7月26日 21:00 ・・・・・台風8号の影響は?

2025年7月25日 19:55 ・・・・・ツアー再開!!

2025年7月24日 16:47 ・・・・・7/13~7/15のライトトラップ その3

2025年7月23日 16:43 ・・・・・午前半日シュノーケル

2025年7月21日 17:27 ・・・・・次の台風が心配です...

2025年7月20日 19:59 ・・・・・7/13~7/15のライトトラップ その2

2025年7月19日 19:39 ・・・・・なんとか潜れました

2025年7月18日 17:19 ・・・・・7/13~7/18のログ

2025年7月16日 19:53 ・・・・・7/13~7/15のライトトラップ

2025年7月12日 15:30 ・・・・・ゲスト写真その2

2025年7月11日 21:30 ・・・・・ゲスト写真その1

2025年7月10日 15:04 ・・・・・ベタ凪になりました

2025年7月 9日 19:00 ・・・・・外洋も行きましたが...

2025年7月 8日 20:42 ・・・・・ツアー再開!!

2025年7月 6日 23:44 ・・・・・シュノーケル&ダイビング

2025年7月 5日 20:45 ・・・・・マクロ合宿最終日

2025年7月 4日 19:05 ・・・・・マクロ合宿6日目

2025年7月 3日 21:09 ・・・・・マクロ合宿5日目

2025年7月 2日 20:55 ・・・・・マクロ合宿4日目

2025年7月 1日 20:13 ・・・・・マクロ合宿3日目

2025年6月30日 19:32 ・・・・・マクロ合宿2日目

2025年6月29日 18:24 ・・・・・マクロ合宿1日目

2025年6月28日 19:51 ・・・・・Aさん、Kさん、Nさんの写真

2025年6月27日 17:04 ・・・・・リクエストはサンゴ

2025年6月26日 20:11 ・・・・・早朝から始まり4ダイブ

2025年6月25日 18:58 ・・・・・ヒナイ&トカキン

2025年6月24日 17:58 ・・・・・汽水域・洞窟・トカキン

2025年6月23日 21:50 ・・・・・1日5ダイブ

2025年6月22日 20:24 ・・・・・のんびり&トカキン曽根

2025年6月21日 20:02 ・・・・・普段行けないポイントへ

2025年6月20日 20:24 ・・・・・ハゼ多め

2025年6月19日 20:24 ・・・・・今日は4ダイブ!!

2025年6月18日 19:17 ・・・・・キレイな水を求めて鳩間島へ

2025年6月17日 20:03 ・・・・・スズメダイ&ハゼリクエスト 最終日

2025年6月16日 20:32 ・・・・・スズメダイ&ハゼリクエスト 4日目

2025年6月15日 20:00 ・・・・・スズメダイ&ハゼリクエスト 3日目

2025年6月14日 17:50 ・・・・・スズメダイ&ハゼリクエスト 2日目

2025年6月13日 19:35 ・・・・・スズメダイ&ハゼリクエスト

2025年6月12日 17:39 ・・・・・汽水&ウミウシ

2025年6月11日 17:59 ・・・・・バラス島近海で潜ります

2025年6月10日 17:55 ・・・・・小笠原時代のお客様

2025年6月 9日 20:40 ・・・・・サンゴ保全活動(オニヒトデ駆除作業)

2025年6月 8日 18:25 ・・・・・梅雨明け

2025年6月 7日 20:46 ・・・・・透明度抜群だけどラストは汽水域へ

2025年6月 6日 20:18 ・・・・・ベタ凪になりました♪

2025年6月 5日 23:54 ・・・・・オイル交換&アノード交換

2025年6月 4日 22:10 ・・・・・大雨でしたが...

2025年6月 4日 06:24 ・・・・・鳩間島へ

2025年6月 2日 20:03 ・・・・・南風が強い

2025年5月31日 23:57 ・・・・・シュノーケル&ナイトダイブ

2025年5月30日 22:46 ・・・・・今日は4ダイブ

2025年5月29日 17:37 ・・・・・超マニアックなポイントへ

2025年5月28日 18:01 ・・・・・マクロ三昧

2025年5月27日 19:27 ・・・・・昨日より波が高い...

2025年5月26日 19:10 ・・・・・トカキンに潜れました

2025年5月25日 19:00 ・・・・・北風ビュービュー

2025年5月24日 17:52 ・・・・・ヒメテグリの求愛

2025年5月23日 22:00 ・・・・・2日連続でロリータポイントへ

2025年5月22日 20:34 ・・・・・久しぶりに一眼持参でダイビング

2025年5月21日 17:13 ・・・・・水温26℃の所もあります...

2025年5月20日 18:00 ・・・・・水温28℃!!

2025年5月19日 20:40 ・・・・・忙しくなる前にメンテナンス

2025年5月16日 22:15 ・・・・・サンゴの産卵 大爆発!!

2025年5月15日 18:42 ・・・・・時不再来

2025年5月14日 20:30 ・・・・・のんびりマクロ 3日目

2025年5月13日 21:17 ・・・・・のんびりマクロ 2日目

2025年5月12日 21:12 ・・・・・のんびりマクロ

2025年5月11日 17:51 ・・・・・GWの思い出(動画)

2025年5月10日 23:55 ・・・・・クラカケチョウチョウウオ

2025年5月 9日 20:25 ・・・・・風は強いですが、天気良し◎

2025年5月 6日 22:30 ・・・・・GW最終日

2025年5月 5日 19:38 ・・・・・GW10日目

2025年5月 4日 21:45 ・・・・・GW9日目

2025年5月 3日 20:03 ・・・・・GW8日目

2025年5月 2日 23:59 ・・・・・GW7日目

2025年5月 1日 23:52 ・・・・・GW6日目

2025年4月30日 20:06 ・・・・・GW5日目

2025年4月29日 20:20 ・・・・・GW4日目

2025年4月28日 19:06 ・・・・・GW3日目

2025年4月27日 18:04 ・・・・・GW2日目

2025年4月26日 20:29 ・・・・・GWスタート

2025年4月25日 16:19 ・・・・・4/18~4/25のログ

2025年4月17日 20:14 ・・・・・ウミウシダイブ最終日

2025年4月17日 06:18 ・・・・・ウミウシダイブ2日目

2025年4月15日 20:07 ・・・・・ウミウシダイブ1日目

2025年4月13日 19:47 ・・・・・1日シュノーケルツアー

2025年4月12日 17:04 ・・・・・今日も午前のみ

2025年4月11日 17:55 ・・・・・透明度抜群でした

2025年4月10日 15:13 ・・・・・4/6~4/10のログ

2025年4月 5日 20:02 ・・・・・本日もシュノーケルツアー

2025年4月 4日 20:42 ・・・・・シュノーケルツアー

2025年3月27日 21:31 ・・・・・南風爆風でした...

2025年3月26日 19:39 ・・・・・今日はシュノーケルツアー

2025年3月25日 20:04 ・・・・・イシガキダイが出た!!

2025年3月24日 22:18 ・・・・・ロウニンアジも出た!!

2025年3月23日 20:47 ・・・・・トラフザメが出た!!

2025年3月22日 23:14 ・・・・・トカキン3本+リフレッシュダイブ

2025年3月21日 17:57 ・・・・・透明度抜群でした☆

2025年3月20日 16:56 ・・・・・3/14のログ

2025年3月19日 21:05 ・・・・・3/11のログ

2025年3月 9日 19:59 ・・・・・午後から体験ダイビング

2025年3月 3日 17:26 ・・・・・南風限定のポイント

2025年3月 2日 17:34 ・・・・・外洋 → ヒナイ

2025年3月 1日 21:41 ・・・・・絶好のダイビング日和です

2025年2月27日 21:16 ・・・・・サンゴ保全活動(オニヒトデ駆除作業)

2025年2月26日 20:37 ・・・・・凪ぎました♪

2025年2月25日 19:53 ・・・・・ダイビング再開!!

2025年2月20日 21:27 ・・・・・勉強になりました

2025年2月17日 20:46 ・・・・・午後からシュノーケルツアー

2025年2月15日 21:58 ・・・・・ヒナイと汽水域

2025年2月14日 20:25 ・・・・・マクロ三昧です

2025年2月12日 21:47 ・・・・・ダイビング&シュノーケル

2025年2月11日 20:49 ・・・・・天気良し

2025年2月10日 17:56 ・・・・・2025年シーズン スタートです!!

2025年2月 7日 22:10 ・・・・・与那国ツアー 総集編

2025年1月31日 18:11 ・・・・・与那国ツアー 最終日

2025年1月29日 18:44 ・・・・・与那国ツアー 絶好調です♪

2025年1月27日 23:53 ・・・・・与那国島に来てます

2025年1月23日 21:20 ・・・・・2025年シーズンからスチールタンクが使用可能になります

2025年1月17日 21:02 ・・・・・2024年を振り返る

2025年1月15日 06:18 ・・・・・休業のお知らせ

2025年1月14日 17:12 ・・・・・調査ダイブ

2025年1月13日 22:21 ・・・・・カエルアンコウ祭り

2025年1月12日 18:42 ・・・・・久しぶりのダイビング

2025年1月 8日 17:50 ・・・・・1/5のログ

2025年1月 4日 16:27 ・・・・・今日はお休みになりました

2025年1月 3日 15:13 ・・・・・1本集中

2025年1月 2日 19:48 ・・・・・特大ゴシキエビ

2025年1月 1日 17:04 ・・・・・2025年始まりました!!

2024年12月31日 17:29 ・・・・・大晦日

2024年12月30日 20:58 ・・・・・ベタ凪でした♪

2024年12月26日 21:04 ・・・・・前線通過

2024年12月25日 20:00 ・・・・・ヒナイで4本

2024年12月24日 21:44 ・・・・・ツアー再開!!

2024年12月21日 20:55 ・・・・・調査ダイブ 終了

2024年12月20日 20:20 ・・・・・続・続・続・調査ダイブ

2024年12月17日 18:22 ・・・・・続・続・調査ダイブ

2024年12月11日 20:34 ・・・・・続・調査ダイブ

2024年12月10日 20:21 ・・・・・調査ダイブ

2024年12月 6日 16:57 ・・・・・サンゴ保全活動

2024年12月 5日 17:56 ・・・・・12/1のログ

2024年12月 4日 17:24 ・・・・・11/30のログ

2024年12月 3日 07:00 ・・・・・汽水域の水温が21℃でした...

2024年11月28日 20:21 ・・・・・思ったより回復しました

2024年11月25日 21:42 ・・・・・2日分のログ

2024年11月23日 18:09 ・・・・・大シケ続きですが...

2024年11月18日 18:07 ・・・・・1日だけですがマクロ三昧

2024年11月16日 19:49 ・・・・・台風が来ると思いきや...

2024年11月16日 06:43 ・・・・・カスリハゼygの黄化個体

2024年11月15日 17:54 ・・・・・ライトトラップ

2024年11月13日 16:12 ・・・・・今日もナイト前に写真だけ

2024年11月12日 19:16 ・・・・・マクロ三昧

2024年11月11日 21:19 ・・・・・今日も写真のみです...

2024年11月10日 17:15 ・・・・・ナイト前に写真だけアップです

2024年11月 9日 20:32 ・・・・・透明度抜群です♪

2024年11月 8日 20:59 ・・・・・ツアー再開!!

2024年11月 6日 20:35 ・・・・・AOIのマクロレンズ『UCL-03 クローズアップリング』を組み立てます

2024年11月 4日 19:30 ・・・・・ツアー再開ですが...

2024年11月 2日 20:26 ・・・・・片付け完了

2024年11月 1日 21:30 ・・・・・養生解除

2024年10月28日 21:10 ・・・・・台風養生&オニヒトデ駆除作業

2024年10月27日 21:15 ・・・・・トカキン3本!!!

2024年10月26日 18:31 ・・・・・9日ぶりのダイビング

2024年10月21日 20:30 ・・・・・オニヒトデ駆除作業

2024年10月20日 19:57 ・・・・・3日分のログ

2024年10月20日 12:14 ・・・・・午後からダイビングを予定している方へ

2024年10月17日 17:44 ・・・・・写真のみですみません...。

2024年10月16日 19:23 ・・・・・ウミウシ&汽水域

2024年10月15日 20:22 ・・・・・ハゼ狙い

2024年10月14日 19:03 ・・・・・連休最終日

2024年10月13日 17:47 ・・・・・満員御礼 2日目

2024年10月12日 18:22 ・・・・・満員御礼

2024年10月11日 20:21 ・・・・・少し穏やかになりました♪

2024年10月10日 19:42 ・・・・・5日ぶりのログ

2024年10月 4日 21:54 ・・・・・ツアー再開!!

2024年10月 3日 21:19 ・・・・・養生解除

2024年9月30日 23:41 ・・・・・メンテナンス

2024年9月29日 23:45 ・・・・・調査ダイブ&台風養生

2024年9月28日 20:18 ・・・・・台風前ラスト

2024年9月27日 20:02 ・・・・・まだ遊べます

2024年9月26日 20:19 ・・・・・台風が来そうです...。

2024年9月24日 23:56 ・・・・・シュノーケル&ファンダイビング

2024年9月23日 17:36 ・・・・・体験ダイビング

2024年9月22日 20:43 ・・・・・2日間ありがとうございました!!

2024年9月21日 19:47 ・・・・・写真たくさん

2024年9月20日 21:06 ・・・・・のんびりダイビング&シュノーケル

2024年9月19日 17:59 ・・・・・ウミウシとハゼ

2024年9月18日 18:26 ・・・・・ペトロスキルテス・ゼスタス

2024年9月17日 16:48 ・・・・・風が強い

2024年9月16日 17:34 ・・・・・2日分のログ

2024年9月14日 18:37 ・・・・・今日ものんびり

2024年9月13日 17:24 ・・・・・昔話に花が咲く

2024年9月12日 19:41 ・・・・・今日は午後から

2024年9月11日 18:29 ・・・・・大見謝エリアでダイビング

2024年9月10日 18:29 ・・・・・満員御礼

2024年9月 9日 16:55 ・・・・・5日間ありがとうございました

2024年9月 8日 20:18 ・・・・・ベタ凪&透明度抜群でもひたすらウミウシ探し

2024年9月 7日 19:49 ・・・・・港が面白いですよ!!

2024年9月 6日 19:48 ・・・・・ひたすらウミウシ探し

2024年9月 5日 20:15 ・・・・・地形とウミウシ

2024年9月 4日 20:33 ・・・・・サメの群れ 大当たり!!

2024年9月 3日 17:45 ・・・・・ライトトラップ&マクロ狙い

2024年9月 2日 18:18 ・・・・・今日は写真のみ

2024年9月 1日 20:41 ・・・・・今日から9月

2024年8月31日 17:37 ・・・・・8月終了!!

2024年8月30日 20:19 ・・・・・バラス西・北・東

2024年8月29日 18:03 ・・・・・トカキン3本!!

2024年8月28日 18:27 ・・・・・見たいものは全部見た!!

2024年8月27日 20:18 ・・・・・モウミウシがいない...。

2024年8月26日 18:37 ・・・・・2日分のログ

2024年8月24日 18:55 ・・・・・大物狙い

2024年8月22日 19:19 ・・・・・気付いたらハゼばっかり

2024年8月22日 17:20 ・・・・・どこも流れてる

2024年8月21日 18:48 ・・・・・5年ぶり

2024年8月20日 20:16 ・・・・・オイル交換

2024年8月18日 20:52 ・・・・・大荒れな1日

2024年8月17日 19:47 ・・・・・体験&ファン

2024年8月16日 21:02 ・・・・・久しぶりのファンダイビング!!

2024年8月15日 18:30 ・・・・・本日も体験ダイビング&シュノーケル

2024年8月14日 19:28 ・・・・・体験ダイビング&シュノーケル

2024年8月13日 20:33 ・・・・・大賑わい

2024年8月12日 16:08 ・・・・・急なご予約でしたが...

2024年8月10日 20:01 ・・・・・満員御礼

2024年8月 9日 21:00 ・・・・・今日も4ダイブ

2024年8月 8日 17:55 ・・・・・Oさんとマンツーマンでダイビング

2024年8月 7日 16:50 ・・・・・ツバメウオ増量中

2024年8月 6日 21:10 ・・・・・ファン&体験

2024年8月 5日 18:19 ・・・・・今日もバラクーダ!!

2024年8月 4日 16:12 ・・・・・リベンジ成功!!

2024年8月 3日 18:28 ・・・・・4ダイブ

2024年8月 2日 17:19 ・・・・・今日はマクロ

2024年8月 1日 16:26 ・・・・・体験ダイビング

2024年7月31日 16:17 ・・・・・2日分のログ

2024年7月30日 16:17 ・・・・・Oさん・Nさんの写真

2024年7月28日 17:25 ・・・・・ツアー再開

2024年7月27日 18:07 ・・・・・養生解除

2024年7月26日 21:07 ・・・・・今日も船は出せず...。

2024年7月25日 20:31 ・・・・・台風は過ぎましたが...

2024年7月24日 20:10 ・・・・・台風3号 最新情報

2024年7月23日 17:44 ・・・・・できる事は全てやりました

2024年7月22日 17:33 ・・・・・メンテナンスDay

2024年7月21日 22:27 ・・・・・一足先に台風養生

2024年7月20日 20:22 ・・・・・シュノーケル → ダイビング → シュノーケル

2024年7月19日 15:37 ・・・・・水温32℃...。

2024年7月18日 17:48 ・・・・・台風にご注意を

2024年7月17日 17:58 ・・・・・体験&ファン

2024年7月16日 18:06 ・・・・・トカキンを攻めます!!

2024年7月15日 18:11 ・・・・・今日もハゼ狙い

2024年7月14日 16:20 ・・・・・ハゼ調査

2024年7月13日 20:40 ・・・・・早朝ダイブ&ファン&体験

2024年7月12日 18:08 ・・・・・マニアックなポイントへ

2024年7月10日 18:28 ・・・・・今日もマングローブへ

2024年7月 9日 20:31 ・・・・・マングローブからのウミショウブ

2024年7月 8日 15:07 ・・・・・今日はシュノーケル

2024年7月 7日 16:14 ・・・・・ギンガメ、ロウニン、バラクーダ

2024年7月 6日 21:14 ・・・・・体験2本&ファン2本

2024年7月 5日 18:18 ・・・・・リクエストは洞窟

2024年7月 4日 20:43 ・・・・・今日はマクロで4本

2024年7月 3日 18:53 ・・・・・お久しぶりのトカキン曽根

2024年7月 2日 18:20 ・・・・・天気は良いが風が強い...

2024年7月 1日 20:02 ・・・・・続・ハゼ狙い

2024年6月30日 18:27 ・・・・・ハゼ狙い

2024年6月29日 18:21 ・・・・・早朝1本&日中3本

2024年6月28日 19:55 ・・・・・最高のコンディションが続いてます♪

2024年6月27日 20:23 ・・・・・オウギチョウチョウウオ発見!!

2024年6月26日 17:15 ・・・・・マングローブダイビング!!

2024年6月25日 16:35 ・・・・・汽水域へ

2024年6月24日 19:10 ・・・・・トカキンに行けるかな?

2024年6月23日 19:40 ・・・・・本日も写真のみ...

2024年6月22日 23:08 ・・・・・3ダイブ+ナイトダイビング

2024年6月21日 20:39 ・・・・・3日間ありがとうございました!!

2024年6月20日 19:59 ・・・・・梅雨 明けました

2024年6月19日 18:11 ・・・・・梅雨 明けたかな?

2024年6月18日 23:58 ・・・・・リクエストにお応えして...

2024年6月16日 19:59 ・・・・・ダイビング再開!!

2024年6月15日 17:26 ・・・・・瀬能先生とさかなクンと浦内川魚類調査

2024年6月15日 06:39 ・・・・・小笠原ツアー 5日目~6日目

2024年6月14日 18:10 ・・・・・小笠原ツアー 4日目

2024年6月14日 13:02 ・・・・・小笠原ツアー 3日目

2024年6月14日 09:48 ・・・・・小笠原ツアー 2日目

2024年6月13日 20:40 ・・・・・小笠原ツアー 1日目

2024年6月12日 20:33 ・・・・・体験ダイビング

2024年6月11日 19:29 ・・・・・ヒナイ&汽水域

2024年6月10日 23:56 ・・・・・ツアー再開

2024年6月 9日 21:11 ・・・・・西表島に戻りました

2024年6月 1日 16:38 ・・・・・休業のお知らせ

2024年5月30日 23:53 ・・・・・スズメダイ合宿最終日

2024年5月29日 17:50 ・・・・・スズメダイ合宿2日目

2024年5月28日 17:51 ・・・・・スズメダイ合宿1日目

2024年5月27日 17:27 ・・・・・ウミウシ探し!!

2024年5月25日 21:24 ・・・・・トカキン曽根

2024年5月24日 20:21 ・・・・・魚が多いポイントへ

2024年5月23日 20:09 ・・・・・2日分のログ

2024年5月21日 20:20 ・・・・・今日も大物狙い!!

2024年5月20日 21:27 ・・・・・今日は大物狙い!!

2024年5月19日 17:44 ・・・・・船のメンテナンス 後編

2024年5月18日 19:29 ・・・・・船のメンテナンス 前編

2024年5月17日 20:04 ・・・・・バラス・バラス・ヒナイ

2024年5月16日 19:35 ・・・・・今日はマクロ

2024年5月15日 17:39 ・・・・・今日はワイド

2024年5月14日 20:51 ・・・・・Trapezionida barbeti

2024年5月12日 17:09 ・・・・・マングローブの撮影

2024年5月11日 21:54 ・・・・・ウミウシ探し2日目

2024年5月10日 20:50 ・・・・・ウミウシ探し

2024年5月 9日 20:51 ・・・・・オイル交換

2024年5月 8日 23:17 ・・・・・無理は禁物

2024年5月 7日 18:02 ・・・・・カメとウミウシ

2024年5月 6日 20:29 ・・・・・GW最終日

2024年5月 5日 17:43 ・・・・・マンジュウイシモチの口内保育

2024年5月 4日 17:44 ・・・・・GWですがマンツーマン

2024年5月 3日 19:50 ・・・・・満員御礼

2024年5月 2日 19:40 ・・・・・ゲストOさんの写真

2024年5月 1日 17:55 ・・・・・5/1のログ

2024年4月30日 17:50 ・・・・・ウミウシ探し

2024年4月29日 18:53 ・・・・・みんなOさん

2024年4月28日 16:35 ・・・・・ハゼ三昧

2024年4月27日 17:45 ・・・・・鳩間で3本

2024年4月26日 18:47 ・・・・・GWスタート!!

2024年4月25日 21:10 ・・・・・GW直前情報

2024年4月24日 23:06 ・・・・・ファンダイビング&シュノーケル

2024年4月24日 18:02 ・・・・・ゲストKさんとマンツーマンでダイビング

2024年4月17日 21:00 ・・・・・ワイドもマクロも盛りだくさん!!

2024年4月14日 17:15 ・・・・・激レア生物

2024年4月12日 18:15 ・・・・・11月のリベンジ!!

2024年4月 8日 21:10 ・・・・・調査ダイブ

2024年4月 7日 20:43 ・・・・・4/1~4/6のログ

2024年3月31日 16:29 ・・・・・Tさん家族来島!!

2024年3月30日 08:41 ・・・・・沖縄らしい&西表らしい景色

2024年3月27日 21:24 ・・・・・7周年

2024年3月26日 21:39 ・・・・・ニンガチカジマーイ

2024年3月23日 17:38 ・・・・・カメ三昧

2024年3月17日 08:30 ・・・・・ダイビング+シュノーケル

2024年3月15日 19:10 ・・・・・ウミウシたっぷり

2024年3月14日 21:11 ・・・・・サンゴ礁保全活動 (オニヒトデ駆除作業)

2024年3月13日 21:48 ・・・・・シュノーケルは中止でしたが...

2024年3月11日 21:19 ・・・・・本日からツアー再開です

2024年3月11日 16:35 ・・・・・モニタリング調査

2024年3月 9日 21:17 ・・・・・TMC電動マリントイレ インペラ交換

2024年3月 8日 14:54 ・・・・・船のメンテナンス

2024年3月 3日 21:36 ・・・・・ダイビング再開!!

2024年3月 1日 12:07 ・・・・・怪我の状態について

2024年3月 1日 11:34 ・・・・・タンク代値上げについて

2024年2月29日 18:59 ・・・・・準備あれこれ

2024年2月26日 14:08 ・・・・・3/11から再開します

2024年2月15日 16:49 ・・・・・リハビリ 20日経過

2024年2月10日 21:38 ・・・・・やまねこマラソン

2024年2月 9日 18:04 ・・・・・リハビリ 2週間経過

2024年2月 2日 17:10 ・・・・・リハビリ 1週間経過

2024年1月27日 16:28 ・・・・・リハビリ開始

2024年1月24日 20:53 ・・・・・西表も極寒です

2024年1月20日 21:17 ・・・・・10日経過...。

2024年1月14日 17:59 ・・・・・西表に戻りました

2024年1月 8日 07:22 ・・・・・休業のお知らせ (再掲)

2024年1月 7日 07:28 ・・・・・ラストダイブ

2024年1月 5日 19:07 ・・・・・ベタ凪です♪

2024年1月 3日 19:36 ・・・・・〆は汽水域へ

2024年1月 2日 19:16 ・・・・・ウミウシ三昧

2024年1月 1日 17:17 ・・・・・2024年 初ダイブ

2023年12月31日 19:00 ・・・・・2023年を振り返る

2023年12月30日 21:57 ・・・・・ツアー再開

2023年12月29日 19:03 ・・・・・沖縄本島 滞在記

2023年12月25日 21:36 ・・・・・ヒレナガモエギ 完結編

2023年12月18日 17:28 ・・・・・休業のお知らせ

2023年12月 9日 22:48 ・・・・・最高のコンディションでした♪

2023年12月 5日 07:16 ・・・・・お知らせです

2023年12月 4日 21:02 ・・・・・マクロ三昧 最終日

2023年12月 2日 20:04 ・・・・・マクロ三昧 5日目

2023年11月30日 21:00 ・・・・・マクロ三昧 4日目

2023年11月29日 21:51 ・・・・・マクロ三昧 3日目

2023年11月28日 21:43 ・・・・・マクロ三昧 2日目

2023年11月27日 20:17 ・・・・・マクロ三昧 1日目

2023年11月23日 17:48 ・・・・・モエギハゼ属の1種-2 (仮称:ヒレナガモエギハゼ)

2023年11月22日 07:23 ・・・・・予行練習?

2023年11月12日 13:32 ・・・・・ゲストSさんの写真

2023年11月10日 23:00 ・・・・・ベタ凪&大物三昧!!

2023年11月 9日 18:14 ・・・・・シュノーケル&体験

2023年11月 7日 18:09 ・・・・・11/3~11/6のログ

2023年11月 6日 19:06 ・・・・・11月のライトトラップ総集編

2023年11月 5日 23:54 ・・・・・またまた出ました!!

2023年11月 2日 23:27 ・・・・・すごいの出ました!!

2023年11月 1日 21:06 ・・・・・稚オニヒトデ

2023年10月29日 19:05 ・・・・・シュノーケルツアー

2023年10月28日 19:25 ・・・・・ナイトダイビング&シュノーケル

2023年10月27日 15:40 ・・・・・体験ダイビング

2023年10月26日 17:50 ・・・・・穏やかな日が続きそうです

2023年10月25日 17:38 ・・・・・ワイド三昧

2023年10月24日 17:25 ・・・・・マクロ三昧 最終日

2023年10月23日 20:04 ・・・・・マクロ三昧 2日目

2023年10月22日 21:48 ・・・・・マクロ三昧 1日目

2023年10月20日 14:51 ・・・・・メンテナンス終了

2023年10月19日 20:00 ・・・・・船のメンテナンス

2023年10月19日 06:42 ・・・・・体験ダイビング&シュノーケル

2023年10月17日 22:39 ・・・・・写真のみですみません...

2023年10月15日 22:59 ・・・・・今日は4ダイブ

2023年10月14日 18:21 ・・・・・エビ三昧

2023年10月12日 21:28 ・・・・・風は強いですが...

2023年10月11日 22:50 ・・・・・日中3本&ナイトダイビング

2023年10月10日 21:04 ・・・・・体験&ファンダイビング

2023年10月 9日 22:12 ・・・・・10/6~9のログ&ライトトラップ

2023年10月 6日 09:21 ・・・・・ゲストKさんの写真

2023年10月 5日 17:48 ・・・・・養生解除

2023年10月 4日 11:16 ・・・・・台風14号 最新情報

2023年10月 3日 20:00 ・・・・・ゲストNさんの写真

2023年10月 2日 15:55 ・・・・・9/27~10/1のログ

2023年9月27日 22:00 ・・・・・ログ更新お休みます

2023年9月27日 06:11 ・・・・・朝から晩までたっぷり遊びました

2023年9月24日 22:51 ・・・・・ファン&体験

2023年9月23日 15:52 ・・・・・続・のんびりダイビング

2023年9月22日 16:10 ・・・・・お久しぶりのサメ狙い

2023年9月21日 20:26 ・・・・・満員御礼

2023年9月20日 21:14 ・・・・・3拍子揃った1日

2023年9月19日 17:54 ・・・・・のんびりダイビング

2023年9月18日 20:27 ・・・・・体験&ファン&スキンダイビング

2023年9月17日 20:46 ・・・・・カメ三昧

2023年9月16日 21:13 ・・・・・体験ダイビング&スキンダイビング

2023年9月15日 16:39 ・・・・・細々と潜っております。

2023年9月14日 17:29 ・・・・・パターンを変えて3ダイブ!!

2023年9月13日 14:59 ・・・・・調査ダイブ

2023年9月12日 21:47 ・・・・・シュノーケル&調査ダイビング

2023年9月11日 21:00 ・・・・・今日はダイビング

2023年9月10日 17:25 ・・・・・シュノーケルツアー

2023年9月 9日 22:05 ・・・・・マンジュウイシモチの口内保育

2023年9月 8日 19:48 ・・・・・ハゼ三昧

2023年9月 7日 20:33 ・・・・・今日はヒナイエリア!!

2023年9月 6日 17:47 ・・・・・今日もニシキテグリ

2023年9月 5日 19:33 ・・・・・ダイビング再開!!

2023年9月 4日 17:00 ・・・・・養生解除

2023年9月 3日 18:18 ・・・・・台風通過

2023年9月 3日 17:39 ・・・・・最近のバラス島について

2023年8月31日 22:03 ・・・・・台風養生

2023年8月30日 18:09 ・・・・・調査ダイブ

2023年8月29日 18:08 ・・・・・体験&シュノーケル

2023年8月27日 19:06 ・・・・・2ショップ合同ツアー

2023年8月26日 20:04 ・・・・・スペシャルゲスト!!

2023年8月25日 21:40 ・・・・・午前も午後も体験ダイビング!!

2023年8月24日 22:34 ・・・・・たっぷり泳ぎました◎

2023年8月23日 18:32 ・・・・・メンテナンスDay

2023年8月22日 23:08 ・・・・・家族で体験ダイビング

2023年8月21日 18:44 ・・・・・体験ダイビング&シュノーケル

2023年8月20日 21:10 ・・・・・体験ダイビングが続きます

2023年8月19日 22:22 ・・・・・ベタ凪です♪

2023年8月18日 21:30 ・・・・・AMシュノーケル → PMダイビング

2023年8月17日 23:09 ・・・・・4ダイブ

2023年8月16日 21:19 ・・・・・続・のんびりシュノーケルツアー

2023年8月15日 18:10 ・・・・・のんびりシュノーケルツアー

2023年8月14日 22:32 ・・・・・写真のみです...

2023年8月13日 19:13 ・・・・・続・快晴 ベタ凪

2023年8月12日 18:10 ・・・・・快晴 ベタ凪

2023年8月11日 18:06 ・・・・・カエルアンコウygとテングギンポハゼ

2023年8月10日 17:50 ・・・・・今日もシュノーケル

2023年8月 9日 19:58 ・・・・・体験&ファン

2023年8月 8日 14:05 ・・・・・まだうねりあり...

2023年8月 7日 15:32 ・・・・・ツアー再開!!

2023年8月 4日 18:07 ・・・・・養生解除

2023年8月 2日 06:30 ・・・・・台風6号

2023年7月31日 14:59 ・・・・・再び台風です

2023年7月26日 20:44 ・・・・・本日の作業は...草刈り!!

2023年7月25日 16:49 ・・・・・台風養生&メンテナンス

2023年7月24日 21:36 ・・・・・台風前ラスト!!

2023年7月23日 18:48 ・・・・・ラストは水のキレイな外洋へ!!

2023年7月22日 18:15 ・・・・・フィッシュアイレンズでテグリ?

2023年7月21日 17:59 ・・・・・再びマクロ三昧!!

2023年7月20日 22:40 ・・・・・早朝マングローブ

2023年7月19日 17:46 ・・・・・ハイブリット発見!!

2023年7月18日 21:15 ・・・・・マクロ三昧!!

2023年7月17日 21:28 ・・・・・鳩間は水がキレイ☆

2023年7月17日 06:05 ・・・・・ツアーのご予約について

2023年7月16日 21:54 ・・・・・カスミアジの群れ!!

2023年7月15日 17:45 ・・・・・予報より穏やか

2023年7月14日 21:12 ・・・・・のんびりダイブ からの・・・

2023年7月13日 20:19 ・・・・・サンゴ推し!!

2023年7月12日 18:12 ・・・・・嬉しい出会い

2023年7月11日 18:09 ・・・・・モンツキの赤ちゃんを発見

2023年7月10日 17:48 ・・・・・潮が変な感じです

2023年7月10日 06:30 ・・・・・7月前半のログ ワイド編

2023年7月 9日 18:09 ・・・・・6月後半のログ マクロ編

2023年7月 8日 17:57 ・・・・・6日間ありがとうございました!!

2023年7月 7日 17:58 ・・・・・マクロに切り替えて

2023年7月 6日 21:55 ・・・・・ギンガメ大当たり!!

2023年7月 5日 19:46 ・・・・・3日間ありがとうございました!!

2023年7月 4日 20:06 ・・・・・ヨナラ3本!!

2023年7月 3日 20:30 ・・・・・満員御礼

2023年7月 2日 20:52 ・・・・・天気回復

2023年7月 1日 22:39 ・・・・・ファン&体験

2023年6月30日 22:22 ・・・・・ログ再開

2023年6月28日 07:08 ・・・・・もう少しお休みします

2023年6月24日 19:27 ・・・・・しばらくブログお休みします

2023年6月23日 20:45 ・・・・・ベタ凪♪

2023年6月22日 22:00 ・・・・・3日間ありがとうございました!!

2023年6月21日 22:50 ・・・・・ウミウシダイブ

2023年6月20日 21:22 ・・・・・夏 始まってます!!

2023年6月19日 22:36 ・・・・・水がキレイな所へ!!

2023年6月18日 23:22 ・・・・・晴れたー!!

2023年6月17日 20:41 ・・・・・〆はウメイロの壁!!

2023年6月16日 19:45 ・・・・・2日分のログ

2023年6月15日 18:00 ・・・・・12年ぶり

2023年6月14日 20:59 ・・・・・3日間ありがとうございました!!

2023年6月13日 22:56 ・・・・・体験&ファン

2023年6月12日 21:35 ・・・・・ベタ凪から北風...。

2023年6月11日 19:59 ・・・・・ハゴロモハゼの求愛

2023年6月10日 19:41 ・・・・・午後から2ダイブ

2023年6月 9日 20:03 ・・・・・ハゼいろいろ

2023年6月 8日 19:19 ・・・・・ヒナイ・ヒナイ・カスミ

2023年6月 7日 22:11 ・・・・・ベタ凪です♪

2023年6月 7日 07:17 ・・・・・6/6のログ

2023年6月 6日 23:20 ・・・・・ようやく見れました...。

2023年6月 5日 15:35 ・・・・・調査ダイブ

2023年6月 4日 17:36 ・・・・・タイドプール

2023年6月 3日 12:40 ・・・・・6年

2023年6月 2日 21:11 ・・・・・養生解除

2023年6月 1日 07:18 ・・・・・台風2号 最新情報

2023年5月31日 20:56 ・・・・・5/27のログ

2023年5月31日 16:46 ・・・・・5/26のログ

2023年5月30日 21:34 ・・・・・5/25のログ

2023年5月30日 15:34 ・・・・・5/24のログ

2023年5月29日 16:30 ・・・・・5/23のログ

2023年5月29日 10:07 ・・・・・5/22のログ

2023年5月28日 16:09 ・・・・・5/20のログ

2023年5月27日 18:04 ・・・・・5/18のログ

2023年5月26日 17:49 ・・・・・5/17のログ

2023年5月25日 17:43 ・・・・・5/16のログ

2023年5月24日 17:51 ・・・・・5/15のログ

2023年5月23日 21:09 ・・・・・5/14のログ

2023年5月22日 16:48 ・・・・・ハゼ調査

2023年5月21日 17:40 ・・・・・5/12のログ

2023年5月20日 21:16 ・・・・・5/11のログ

2023年5月19日 16:38 ・・・・・5/10のログ

2023年5月18日 20:33 ・・・・・5/9のログ

2023年5月17日 19:07 ・・・・・ゲストNさんご夫婦の写真

2023年5月16日 18:11 ・・・・・5/6のログ

2023年5月15日 17:45 ・・・・・ゲストさんフォト その7

2023年5月14日 19:32 ・・・・・ゲストさんフォト その6

2023年5月13日 17:19 ・・・・・ゲストさんフォト その5

2023年5月12日 17:08 ・・・・・ゲストさんフォト その4

2023年5月11日 17:07 ・・・・・ゲストさんフォト その3

2023年5月10日 22:15 ・・・・・ゲストさんフォト その2

2023年5月 9日 19:07 ・・・・・ゲストさんフォト その1

2023年5月 8日 19:59 ・・・・・4/29のログ

2023年5月 6日 22:58 ・・・・・GW最終日

2023年5月 5日 22:44 ・・・・・GW7日目

2023年5月 4日 20:35 ・・・・・GW6日目

2023年5月 3日 21:14 ・・・・・GW5日目

2023年5月 2日 18:27 ・・・・・GW4日目

2023年5月 1日 19:45 ・・・・・GW3日目

2023年4月30日 19:46 ・・・・・GW2日目

2023年4月29日 23:35 ・・・・・GW1日目

2023年4月28日 17:57 ・・・・・GW直前情報 その2

2023年4月27日 17:37 ・・・・・GW直前情報 その1

2023年4月26日 14:41 ・・・・・AOW講習修了

2023年4月25日 14:55 ・・・・・AOW講習スタート

2023年4月24日 21:08 ・・・・・ウミウシ多めです

2023年4月23日 20:29 ・・・・・ゲストOさんとマンツーマン!!

2023年4月22日 21:46 ・・・・・幼魚がたくさん出てますよー!!

2023年4月19日 20:52 ・・・・・ヨナラエリアへ!!

2023年4月18日 22:34 ・・・・・4/17のログ

2023年4月16日 22:22 ・・・・・カゴメノリ大量発生中...。

2023年4月15日 20:55 ・・・・・一眼に溜まってた写真

2023年4月14日 18:26 ・・・・・リクエストにお応えして...

2023年4月13日 18:05 ・・・・・耳抜きに大苦戦...。

2023年4月12日 16:13 ・・・・・今年1番のベタ凪?

2023年4月11日 21:00 ・・・・・大物狙い 時々 ウミウシ探し

2023年4月10日 21:47 ・・・・・4/9~4/10のログ

2023年4月 9日 17:46 ・・・・・透明度抜群でした!!

2023年4月 6日 14:09 ・・・・・いざ調査!!と思いきや...

2023年4月 5日 16:37 ・・・・・船の作業あれこれ

2023年4月 4日 22:48 ・・・・・マンツーマンでダイビング!!

2023年4月 3日 21:09 ・・・・・カードリーダーが壊れました...。

2023年4月 2日 18:56 ・・・・・シュノーケル&ダイビングのダブルヘッダー

2023年4月 1日 17:44 ・・・・・新年度スタート!!

2023年3月29日 16:17 ・・・・・穏やかな所で体験ダイビング

2023年3月27日 21:40 ・・・・・6周年

2023年3月26日 21:59 ・・・・・3/24~3/26のログ

2023年3月23日 16:00 ・・・・・〆はヒナイ

2023年3月22日 18:36 ・・・・・汽水域3本!!

2023年3月21日 20:34 ・・・・・ワイドもマクロも!!

2023年3月20日 22:05 ・・・・・シュノーケル → ダイビング

2023年3月19日 08:15 ・・・・・狙い通り!!

2023年3月17日 23:29 ・・・・・潜り倒した1日

2023年3月16日 17:18 ・・・・・新ネタ出てます

2023年3月15日 21:08 ・・・・・体験ダイビング+シュノーケル!!

2023年3月14日 21:59 ・・・・・マクロ三昧です!!

2023年3月12日 16:04 ・・・・・1日シュノーケルツアー!!

2023年3月10日 16:24 ・・・・・2日分のログ

2023年3月 8日 16:17 ・・・・・ヒメダテハゼの求愛

2023年3月 7日 16:27 ・・・・・ダイビング&バラス島上陸!!

2023年3月 6日 13:32 ・・・・・最高のコンディションです!!

2023年3月 5日 23:17 ・・・・・ヒナイ・ヒナイ・バラス東

2023年3月 4日 13:00 ・・・・・3/3のログ

2023年3月 3日 22:45 ・・・・・日中3本+ナイト

2023年3月 1日 16:46 ・・・・・体験ダイビング

2023年2月28日 19:59 ・・・・・船検

2023年2月27日 15:20 ・・・・・タンクのメンテナンス

2023年2月26日 17:59 ・・・・・海が荒れる前に...

2023年2月25日 09:36 ・・・・・ハゼ三昧

2023年2月19日 23:08 ・・・・・体験ダイビング&ファンダイビング

2023年2月18日 18:31 ・・・・・今年の2月は雨が少ない

2023年2月16日 17:26 ・・・・・メンテナンス終了

2023年2月15日 16:45 ・・・・・旅行支援のクーポンが使えるようになりました

2023年2月14日 09:23 ・・・・・細かなメンテナンス

2023年2月12日 20:16 ・・・・・天気良し!!

2023年2月11日 13:19 ・・・・・やまねこマラソン

2023年2月10日 15:55 ・・・・・ゲストHさんとダイビング

2023年2月 8日 18:11 ・・・・・サンゴ礁保全活動

2023年2月 7日 20:48 ・・・・・ペンドック完了

2023年2月 6日 15:48 ・・・・・調査ダイブ

2023年2月 5日 17:26 ・・・・・与那国ツアー 番外編

2023年2月 4日 20:09 ・・・・・与那国ツアー 陸上編

2023年2月 2日 22:26 ・・・・・久しぶりのダイビング!!

2023年2月 2日 18:00 ・・・・・与那国ツアー ダイビング編

2023年2月 1日 17:12 ・・・・・黒島ツアー 総集編

2023年1月31日 17:01 ・・・・・浜名湖でダイビング

2023年1月30日 17:10 ・・・・・休暇中の出来事

2023年1月28日 21:34 ・・・・・西表に戻りました

2023年1月22日 23:56 ・・・・・黒島ツアー2日目

2023年1月21日 19:43 ・・・・・マンタ三昧!!

2023年1月15日 16:56 ・・・・・誕生日

2023年1月10日 07:02 ・・・・・冬季休業中です

2023年1月 8日 11:28 ・・・・・2023年 サンゴの産卵予想日

2023年1月 8日 09:55 ・・・・・海が荒れた日の対応について

2023年1月 7日 15:28 ・・・・・お知らせ一覧

2023年1月 7日 15:18 ・・・・・ホタル観察の注意点

2023年1月 6日 19:58 ・・・・・オニヒトデ駆除作業(西側エリア)

2023年1月 5日 17:25 ・・・・・オニヒトデ駆除作業(北側エリア)

2023年1月 2日 23:32 ・・・・・年末年始 終了!!

2023年1月 1日 17:47 ・・・・・初潜り

2022年12月31日 12:15 ・・・・・2022年を振り返る

2022年12月30日 14:18 ・・・・・満員御礼でしたが...

2022年12月29日 17:06 ・・・・・透明度抜群!!

2022年12月28日 17:05 ・・・・・海が荒れた日の対応について

2022年12月27日 16:55 ・・・・・クマドリカエルアンコウ

2022年12月26日 23:35 ・・・・・久しぶりのシュノーケルツアー!!

2022年12月25日 21:21 ・・・・・陸作業

2022年12月20日 17:27 ・・・・・オニヒトデ駆除作業

2022年12月18日 16:36 ・・・・・仮死状態の魚たち

2022年12月16日 21:19 ・・・・・今日だけ凪

2022年12月13日 17:28 ・・・・・なかよし発表会

2022年12月11日 20:58 ・・・・・大シケです...。

2022年12月 8日 07:08 ・・・・・なんとか潜れてます

2022年12月 5日 17:19 ・・・・・タンク&レギュ&テントのメンテナンス

2022年12月 4日 18:00 ・・・・・北風ビュービュー

2022年12月 1日 09:57 ・・・・・タンクのメンテナンス

2022年11月30日 09:11 ・・・・・リクエストはカメとウミウシ

2022年11月29日 07:16 ・・・・・マクロからのドリフト!!

2022年11月28日 07:49 ・・・・・アラベスク 西表島ツアー!!

2022年11月26日 07:05 ・・・・・11/23のログ

2022年11月25日 17:23 ・・・・・11/22のログ

2022年11月25日 08:05 ・・・・・11/21のログ

2022年11月24日 08:08 ・・・・・11/20のログ

2022年11月23日 06:09 ・・・・・11/19のログ

2022年11月17日 19:59 ・・・・・冬季休業&黒島・与那国ツアーのお知らせ

2022年11月16日 21:26 ・・・・・半年ぶりのヘアリーフロッグフィッシュ

2022年11月15日 22:24 ・・・・・〆はバラクーダ!!

2022年11月14日 17:25 ・・・・・島内観光

2022年11月13日 23:39 ・・・・・イカとタコ

2022年11月12日 21:58 ・・・・・久しぶりのベタ凪

2022年11月11日 22:40 ・・・・・大物狙いで3本!!!

2022年11月10日 22:27 ・・・・・シュノーケルツアー&スキンダイビングツアー

2022年11月 9日 20:28 ・・・・・オニヒトデ駆除作業

2022年11月 8日 20:51 ・・・・・穏やかになりました

2022年11月 7日 14:59 ・・・・・バラクーダ&汽水域

2022年11月 5日 17:55 ・・・・・続・大シケです...。

2022年11月 4日 17:59 ・・・・・大シケです...。

2022年11月 3日 20:30 ・・・・・思ったより水がキレイでした!!

2022年11月 2日 14:59 ・・・・・大雨です...。

2022年10月31日 14:10 ・・・・・ようやく船も元通り

2022年10月29日 22:59 ・・・・・久しぶりに西側エリアへ!!

2022年10月28日 21:06 ・・・・・ハゼ調査

2022年10月26日 20:04 ・・・・・9日ぶりのダイビング

2022年10月24日 20:09 ・・・・・メンテナンスが長引いてます...。

2022年10月20日 06:57 ・・・・・緊急メンテナンスのお知らせ

2022年10月19日 12:45 ・・・・・共生ハゼの調査

2022年10月16日 20:05 ・・・・・久しぶりのダイビング

2022年10月15日 17:32 ・・・・・シケが続きます...。

2022年10月14日 23:26 ・・・・・ゲストKさんフォト

2022年10月13日 17:38 ・・・・・ゲストOさんフォト

2022年10月12日 18:28 ・・・・・ゲストTさんフォト

2022年10月11日 21:17 ・・・・・ゲストさんフォト

2022年10月10日 23:08 ・・・・・海には行けませんでしたが...

2022年10月 9日 22:22 ・・・・・〆はトカキン!!

2022年10月 8日 20:24 ・・・・・予報通り 時化ましたが...

2022年10月 7日 18:22 ・・・・・大物運バッチリ!!

2022年10月 6日 21:09 ・・・・・リーフの内側で潜ります

2022年10月 5日 16:11 ・・・・・マクロから一転ワイドに

2022年10月 5日 06:26 ・・・・・ランチ代 値上げのお知らせ

2022年10月 4日 21:44 ・・・・・ハゼ狙い&体験ダイビング

2022年10月 3日 17:56 ・・・・・マンタ+ギンガメ+バラクーダ+イルカ

2022年10月 2日 20:56 ・・・・・ハゼ三昧

2022年10月 1日 18:21 ・・・・・続・がっつりマクロ

2022年9月30日 20:26 ・・・・・がっつりマクロ

2022年9月29日 20:38 ・・・・・チルト・トリム・モーター交換

2022年9月28日 16:22 ・・・・・久しぶりに体験ダイビング

2022年9月27日 18:24 ・・・・・ノバノバ ヨナヨナ

2022年9月26日 21:35 ・・・・・砂地マンタ!!

2022年9月25日 20:35 ・・・・・ようやく落ち着いてきました

2022年9月24日 20:33 ・・・・・朝は風が弱かったんですが...

2022年9月23日 21:35 ・・・・・水中の方が快適です

2022年9月22日 21:41 ・・・・・巨大バラクーダ!!

2022年9月21日 18:08 ・・・・・続・インリーフで3本

2022年9月20日 21:49 ・・・・・インリーフで3本

2022年9月19日 21:34 ・・・・・久しぶりに外洋へ

2022年9月18日 21:19 ・・・・・北西の風が強い...。

2022年9月17日 22:27 ・・・・・今日は4ダイブ!!

2022年9月16日 21:41 ・・・・・波・風の避けられる所へ

2022年9月15日 20:15 ・・・・・ダメージ大です...。

2022年9月14日 18:11 ・・・・・養生解除

2022年9月13日 20:09 ・・・・・停電が続いています...。

2022年9月12日 15:43 ・・・・・台風12号

2022年9月11日 20:00 ・・・・・9/10のログ

2022年9月11日 15:59 ・・・・・9/9のログ

2022年9月 8日 22:10 ・・・・・うみくじら 西表島ツアー!!

2022年9月 6日 21:38 ・・・・・ツアー再開!!

2022年9月 5日 21:06 ・・・・・養生解除

2022年9月 4日 18:22 ・・・・・台風一過

2022年9月 3日 10:11 ・・・・・台風接近中のご連絡について

2022年9月 2日 17:50 ・・・・・台風対策&メンテナンスあれこれ

2022年9月 2日 07:34 ・・・・・オイル交換

2022年9月 1日 19:59 ・・・・・8/30のログ

2022年8月30日 23:00 ・・・・・家族でダイビング&シュノーケル

2022年8月29日 22:40 ・・・・・ダイビング&体験&シュノーケル

2022年8月28日 16:39 ・・・・・バッテリー交換

2022年8月27日 22:19 ・・・・・2年半ぶり

2022年8月26日 17:38 ・・・・・半日シュノーケルツアー

2022年8月26日 16:49 ・・・・・4年ぶり

2022年8月24日 21:26 ・・・・・満員御礼!!

2022年8月23日 21:56 ・・・・・透明度抜群ですよー!!

2022年8月22日 20:35 ・・・・・小笠原の友人が遊びに来てくれました☆

2022年8月20日 21:12 ・・・・・最終日は4ダイブ!!

2022年8月20日 16:55 ・・・・・回遊魚リベンジ!!

2022年8月19日 20:26 ・・・・・リクエストは大物回遊魚

2022年8月18日 21:49 ・・・・・体験ダイビング×2

2022年8月17日 21:07 ・・・・・半日シュノーケルツアー

2022年8月16日 17:40 ・・・・・トカキン3本!!

2022年8月15日 15:46 ・・・・・家族みんなでシュノーケル&ダイビング

2022年8月13日 21:32 ・・・・・シュノーケル&ファンダイビング

2022年8月12日 17:26 ・・・・・ツバメウオの群れ

2022年8月11日 22:01 ・・・・・体験ダイビングと家族サービス

2022年8月10日 13:58 ・・・・・T藤さんの写真

2022年8月 9日 21:56 ・・・・・ダイビング&シュノーケルツアー

2022年8月 8日 22:19 ・・・・・久しぶりのグレイリーフシャーク!!

2022年8月 7日 22:11 ・・・・・〆はマンジュウイシモチyg!!

2022年8月 6日 19:39 ・・・・・モンツキ&フリソデエビ!!

2022年8月 5日 21:53 ・・・・・体験ダイビング&シュノーケルツアー

2022年8月 4日 17:33 ・・・・・久しぶりにマクロ!!

2022年8月 3日 19:27 ・・・・・家族みんなでシュノーケルツアー

2022年8月 2日 21:11 ・・・・・家族みんなで体験ダイビング

2022年8月 1日 21:25 ・・・・・体験ダイビング&バラス島上陸

2022年7月31日 18:16 ・・・・・ペリクリメナエウス・ストォルチイ

2022年7月30日 20:33 ・・・・・5周年のお祝いをしてもらいました◎

2022年7月29日 22:08 ・・・・・昨日のナイト&今日のダイビング

2022年7月28日 18:33 ・・・・・Nさん家族とシュノーケル

2022年7月27日 16:48 ・・・・・モエギからのホムラハゼ

2022年7月27日 07:38 ・・・・・まさかの産卵...。

2022年7月26日 17:59 ・・・・・シュノーケルツアー×2

2022年7月25日 16:39 ・・・・・調査ダイブ その2

2022年7月24日 13:28 ・・・・・新しいTシャツ・ステッカーを作りました

2022年7月24日 13:18 ・・・・・家族で貸切シュノーケルツアー

2022年7月23日 17:39 ・・・・・調査ダイブ

2022年7月22日 17:50 ・・・・・大物狙い!!

2022年7月21日 17:11 ・・・・・午後からのんびりダイビング

2022年7月20日 21:39 ・・・・・ゲストさんフォト 7月編

2022年7月19日 20:49 ・・・・・マンツーマンでダイビング

2022年7月18日 21:44 ・・・・・連休最終日

2022年7月18日 06:13 ・・・・・マングローブ、サンゴ、ハゼ

2022年7月17日 23:56 ・・・・・サンゴの産卵

2022年7月15日 21:14 ・・・・・早朝マングローブ

2022年7月14日 23:35 ・・・・・満員御礼

2022年7月13日 21:58 ・・・・・トカキン&サンゴ&イルカ

2022年7月12日 23:50 ・・・・・初日から全開です!!

2022年7月11日 22:04 ・・・・・シュノーケルツアー

2022年7月11日 05:49 ・・・・・最高のコンディションが続いてます♪

2022年7月 9日 22:57 ・・・・・のんびりダイビングからの外洋!!

2022年7月 8日 17:39 ・・・・・ヨナラ・野原・高那へ遠征!!

2022年7月 7日 20:54 ・・・・・鳩間エリアでダイビング

2022年7月 7日 07:32 ・・・・・ワイドもマクロも面白い季節

2022年7月 5日 21:21 ・・・・・スキンダイビングツアー

2022年7月 4日 18:46 ・・・・・サンゴとカマス

2022年7月 3日 23:04 ・・・・・マンジュウイシモチyg出てます!!

2022年7月 2日 21:27 ・・・・・ベタ凪です♪

2022年7月 1日 21:08 ・・・・・最後にトカキン!!

2022年6月30日 21:20 ・・・・・マングローブからのサンゴ

2022年6月29日 18:54 ・・・・・満員御礼

2022年6月28日 18:45 ・・・・・Ristorante Terra Iriomote

2022年6月27日 19:59 ・・・・・ナイトダイビング→シュノーケル→シュノーケル

2022年6月26日 13:58 ・・・・・いつもより忙しい...。

2022年6月26日 06:33 ・・・・・体験→シュノーケル→体験→オイル交換

2022年6月24日 20:20 ・・・・・ベタ凪です♪

2022年6月23日 21:40 ・・・・・透明度抜群でした!!

2022年6月23日 07:08 ・・・・・ハゼ調査からの体験ダイビング

2022年6月21日 22:08 ・・・・・今日も体験ダイビングです

2022年6月20日 16:37 ・・・・・ハゼ調査

2022年6月19日 20:32 ・・・・・調査ダイブ

2022年6月18日 23:49 ・・・・・体験ダイビング&ナイトダイビング

2022年6月17日 18:32 ・・・・・群れ!群れ!!群れ!!!

2022年6月16日 23:39 ・・・・・サンゴの産卵

2022年6月16日 16:15 ・・・・・5ダイブ

2022年6月14日 21:20 ・・・・・夏至南風

2022年6月12日 21:13 ・・・・・家族みんなで体験ダイビング!!

2022年6月11日 22:11 ・・・・・体験ダイビング&ファンダイビング!!

2022年6月10日 21:19 ・・・・・オリオンスズメダイyg

2022年6月 9日 05:39 ・・・・・2日分のログ

2022年6月 6日 17:51 ・・・・・冴えてる1日

2022年6月 5日 18:28 ・・・・・久しぶりのクダゴンベ!!

2022年6月 4日 07:18 ・・・・・5年

2022年6月 3日 21:38 ・・・・・水中イルカ!!

2022年5月30日 22:11 ・・・・・家族でダイビング&シュノーケルツアー

2022年5月29日 20:17 ・・・・・体験&シュノーケルツアー

2022年5月27日 21:55 ・・・・・濁ってても楽しい♪

2022年5月26日 17:59 ・・・・・ゲストさんフォト

2022年5月25日 20:29 ・・・・・今日はヒナイエリアで3本

2022年5月24日 20:23 ・・・・・汽水域で3ダイブ

2022年5月23日 18:37 ・・・・・イルカがいた!!

2022年5月22日 20:54 ・・・・・念願のマンタ

2022年5月21日 21:46 ・・・・・透明度回復

2022年5月20日 21:33 ・・・・・濁りがすごい...。

2022年5月20日 00:07 ・・・・・サンゴの産卵

2022年5月16日 17:45 ・・・・・ライトトラップ in 西表島

2022年5月15日 23:56 ・・・・・GWの写真

2022年5月14日 19:50 ・・・・・お手伝い

2022年5月12日 21:53 ・・・・・ヘアリーフロッグフィッシュ

2022年5月11日 23:08 ・・・・・久しぶりにシュノーケルツアー

2022年5月10日 21:21 ・・・・・地形とカメ

2022年5月 9日 22:28 ・・・・・2日分のログ

2022年5月 7日 21:38 ・・・・・GW最終日

2022年5月 6日 23:28 ・・・・・今日も4ダイブ!!

2022年5月 5日 22:51 ・・・・・今日は4ダイブ!!

2022年5月 4日 21:50 ・・・・・超マクロDay

2022年5月 3日 16:10 ・・・・・昨日より暖かい

2022年5月 2日 17:39 ・・・・・北風ピューピュー

2022年5月 1日 21:15 ・・・・・GW2日目

2022年4月30日 21:14 ・・・・・GW1日目

2022年4月29日 19:45 ・・・・・カメもバッチリ!!マクロもバッチリ!!!

2022年4月27日 22:22 ・・・・・GW直前情報

2022年4月26日 17:45 ・・・・・ライトの大切さ

2022年4月25日 20:44 ・・・・・カメ7匹

2022年4月24日 17:41 ・・・・・今日も大物三昧でした!!

2022年4月23日 20:08 ・・・・・大物攻め!!&ナイトダイビング

2022年4月22日 17:08 ・・・・・きっかけは「ぐらんぶる」

2022年4月21日 07:00 ・・・・・カエルアンコウyg発見!!

2022年4月19日 20:54 ・・・・・幼魚が増えてきました

2022年4月18日 17:55 ・・・・・クマドリカエルアンコウ

2022年4月17日 22:26 ・・・・・風は強いけど...

2022年4月16日 08:48 ・・・・・マクロが面白くなってきた!!

2022年4月12日 21:14 ・・・・・連敗脱出

2022年4月10日 21:12 ・・・・・10年ぶり

2022年4月 9日 19:53 ・・・・・オニヒトデ駆除作業

2022年4月 8日 17:34 ・・・・・マクロな1日

2022年4月 7日 15:16 ・・・・・ワイドな1日

2022年4月 2日 16:06 ・・・・・メンテナンスDay

2022年4月 1日 16:39 ・・・・・3/24のログ

2022年3月31日 20:12 ・・・・・3/23のログ

2022年3月30日 13:39 ・・・・・3/22のログ

2022年3月29日 16:52 ・・・・・3/21のログ

2022年3月27日 09:20 ・・・・・5周年

2022年3月26日 21:24 ・・・・・淡水ハゼの調査

2022年3月25日 10:34 ・・・・・メガネウオ

2022年3月22日 23:29 ・・・・・カエルアンコウ

2022年3月20日 21:45 ・・・・・記念ダイブ

2022年3月20日 08:49 ・・・・・体験ダイビング

2022年3月19日 19:22 ・・・・・ライトトラップ4日目

2022年3月18日 21:32 ・・・・・ライトトラップ3日目

2022年3月18日 16:03 ・・・・・ベラ特集

2022年3月17日 07:23 ・・・・・ミヤケベラ

2022年3月15日 21:29 ・・・・・ニューギニアベラ

2022年3月11日 17:09 ・・・・・ウミウシ祭り!!

2022年3月 9日 20:49 ・・・・・海さんぽ

2022年3月 8日 17:20 ・・・・・ホタルが見頃になってきました☆

2022年3月 7日 15:50 ・・・・・コブシメ絶好調です!!

2022年3月 6日 19:59 ・・・・・ライトトラップ2日目

2022年3月 5日 21:27 ・・・・・ライトトラップ1日目

2022年3月 5日 11:32 ・・・・・ビーチクリーン

2022年3月 2日 19:53 ・・・・・コブシメが安定してます

2022年3月 1日 20:36 ・・・・・ベラ調査

2022年2月28日 16:55 ・・・・・久しぶりの夏日

2022年2月27日 20:57 ・・・・・サンゴ礁保全活動

2022年2月26日 17:53 ・・・・・やっと晴れました

2022年2月22日 15:24 ・・・・・2022年サンゴの産卵予想日

2022年2月20日 21:26 ・・・・・これだけ寒いと魚も仮死状態に・・・

2022年2月16日 17:40 ・・・・・船台のメンテナンス

2022年2月13日 08:35 ・・・・・コブシメの産卵

2022年2月12日 07:09 ・・・・・イバラタツが出た!!

2022年2月11日 12:00 ・・・・・ナイトダイビング&ライトトラップ

2022年2月10日 17:30 ・・・・・シュノーケルツアー

2022年2月 8日 08:09 ・・・・・海中清掃 その2

2022年2月 3日 17:43 ・・・・・海中清掃

2022年2月 2日 22:44 ・・・・・ニシキテグリの赤ちゃん

2022年2月 1日 22:46 ・・・・・久しぶりのクダゴンベ!!

2022年1月30日 11:07 ・・・・・サンゴ礁保全活動

2022年1月21日 09:54 ・・・・・ひたすら陸作業です

2022年1月18日 17:54 ・・・・・大シケでしたが...。

2022年1月17日 18:54 ・・・・・4年ぶりにカズくん来島!!

2022年1月 9日 16:39 ・・・・・のんびり2ダイブ

2022年1月 6日 21:58 ・・・・・2022年もよろしくお願いします!!

2021年12月31日 18:34 ・・・・・2021年を振り返る

2021年12月29日 16:32 ・・・・・2021年 潜りおさめ

2021年12月28日 21:55 ・・・・・パソコン修理&軽石対策

2021年12月21日 06:16 ・・・・・AOW講習・EAD講習

2021年12月17日 17:23 ・・・・・調査ダイブ+その他いろいろ

2021年12月12日 17:52 ・・・・・ついに軽石が...

2021年12月10日 16:30 ・・・・・リーフチェック

2021年12月 5日 17:03 ・・・・・12/3のログ

2021年12月 4日 17:23 ・・・・・12/2のログ

2021年12月 3日 21:36 ・・・・・12/1のログ

2021年12月 2日 17:08 ・・・・・11/30のログ

2021年12月 1日 17:27 ・・・・・11/26のログ

2021年11月30日 19:39 ・・・・・11/24のログ

2021年11月29日 20:14 ・・・・・親子レク

2021年11月28日 22:11 ・・・・・メンテナンス第2弾 プロペラ交換 グリスアップ 燃料フィルター交換

2021年11月27日 20:59 ・・・・・11/21のログ

2021年11月26日 20:08 ・・・・・11/19・11/20のログ

2021年11月26日 06:13 ・・・・・11/18のログ

2021年11月25日 17:32 ・・・・・11/17のログ

2021年11月25日 08:08 ・・・・・11/16のログ

2021年11月24日 20:44 ・・・・・11/15のログ

2021年11月23日 20:58 ・・・・・11/14のログ

2021年11月23日 08:08 ・・・・・11/13のログ

2021年11月22日 21:30 ・・・・・11/12のログ

2021年11月22日 17:35 ・・・・・11/11のログ

2021年11月21日 21:01 ・・・・・11/10のログ

2021年11月21日 06:25 ・・・・・11/9のログ

2021年11月20日 18:18 ・・・・・11/7のログ

2021年11月19日 16:52 ・・・・・11/6のログ

2021年11月18日 20:52 ・・・・・11/5のログ

2021年11月18日 06:58 ・・・・・11/4のログ

2021年11月16日 22:47 ・・・・・11/3のログ

2021年11月15日 23:36 ・・・・・11/2のログ

2021年11月15日 06:44 ・・・・・11/1のログ

2021年11月 8日 17:48 ・・・・・もう少しお待ちください

2021年11月 1日 10:21 ・・・・・カエルアンコウyg出ました!!

2021年10月30日 22:07 ・・・・・超マニアックな体験ダイビング

2021年10月30日 07:30 ・・・・・10/28・10/29のログ

2021年10月27日 07:20 ・・・・・海中清掃

2021年10月26日 17:47 ・・・・・燃料代について

2021年10月26日 07:59 ・・・・・YAMAHA 船外機 150馬力 アノード交換 サーモスタット交換

2021年10月25日 16:55 ・・・・・汽水域でダイビング

2021年10月22日 23:15 ・・・・・トラブル発生

2021年10月21日 07:27 ・・・・・水上安全条例の改定

2021年10月16日 23:56 ・・・・・嵐の前の静けさ

2021年10月14日 17:28 ・・・・・透明度抜群でした!!

2021年10月13日 07:58 ・・・・・最近の出来事

2021年10月 4日 20:40 ・・・・・中学生と体験ダイビング

2021年10月 3日 23:15 ・・・・・〆はグルクマの群れ!!

2021年10月 2日 16:20 ・・・・・ウメイロモドキ

2021年10月 1日 07:19 ・・・・・オイル交換&テント取り付け

2021年9月30日 21:13 ・・・・・淡水魚調査

2021年9月29日 20:42 ・・・・・9/27のログ

2021年9月28日 17:57 ・・・・・9/24のログ

2021年9月28日 07:04 ・・・・・9/23のログ

2021年9月27日 07:35 ・・・・・9/22のログ

2021年9月26日 16:28 ・・・・・9/21のログ

2021年9月20日 20:54 ・・・・・今日はマクロ

2021年9月19日 17:48 ・・・・・今日はワイド

2021年9月18日 20:59 ・・・・・休日の1コマ

2021年9月17日 16:42 ・・・・・大きなうねり

2021年9月16日 22:00 ・・・・・汽水域からマングローブも!!

2021年9月14日 20:15 ・・・・・養生解除しました

2021年9月12日 22:08 ・・・・・細かい作業あれこれ

2021年9月11日 16:03 ・・・・・マクロ三昧 2日目

2021年9月10日 22:02 ・・・・・マクロ三昧!!

2021年9月10日 06:42 ・・・・・9/6のログ

2021年9月 9日 19:44 ・・・・・9/2のログ

2021年9月 9日 07:23 ・・・・・9/1のログ

2021年9月 8日 21:07 ・・・・・8/30のログ

2021年9月 8日 14:54 ・・・・・8/29のログ

2021年9月 6日 21:44 ・・・・・8/27のログ

2021年9月 6日 21:42 ・・・・・8/26のログ

2021年9月 6日 07:35 ・・・・・8/24~25のログ

2021年9月 4日 17:33 ・・・・・8/20のブログ

2021年9月 3日 21:22 ・・・・・グレイリーフシャーク

2021年9月 2日 22:29 ・・・・・今日もサメの群れ!!

2021年9月 1日 20:54 ・・・・・ずっと潮が止まってる

2021年8月31日 21:59 ・・・・・続・のんびりダイビングです

2021年8月30日 20:50 ・・・・・のんびりダイビングです

2021年8月29日 22:12 ・・・・・グレイリーフシャーク大当たり!!

2021年8月29日 06:43 ・・・・・お知らせ

2021年8月19日 16:05 ・・・・・石垣島でメンテナンスです

2021年8月16日 18:27 ・・・・・マンタとスカテンのコラボ☆

2021年8月15日 22:18 ・・・・・ミジュンの超大群

2021年8月13日 20:00 ・・・・・ウミショウブの大規模調査

2021年8月12日 19:36 ・・・・・親子でダイビングです

2021年8月11日 21:36 ・・・・・マンタ大当たり!!

2021年8月 9日 17:46 ・・・・・カメ調査

2021年8月 8日 15:47 ・・・・・船を川から出しました

2021年8月 7日 07:30 ・・・・・マングローブへ

2021年8月 6日 07:27 ・・・・・GoPro大活躍!!

2021年8月 5日 07:19 ・・・・・魚影、洞窟、ナイトダイビング

2021年7月31日 20:22 ・・・・・夏休み

2021年7月30日 17:09 ・・・・・ナイスタイミング!!

2021年7月29日 09:34 ・・・・・ダイビング再開してます

2021年7月25日 16:05 ・・・・・船も戻して、明日からダイビングです!!

2021年7月24日 18:38 ・・・・・停電...復旧しました

2021年7月22日 21:10 ・・・・・時間があるので・・・

2021年7月21日 19:11 ・・・・・台風に備える とは

2021年7月19日 21:16 ・・・・・台風養生

2021年7月18日 21:49 ・・・・・台風前ラストダイブです

2021年7月16日 21:38 ・・・・・Sくん来島!!

2021年7月15日 18:39 ・・・・・オキゴンドウの群れ!!

2021年7月14日 20:07 ・・・・・のんびりダイビング

2021年7月13日 16:05 ・・・・・今日はマンタ!!

2021年7月12日 15:49 ・・・・・トカキン曽根へ!!

2021年7月11日 21:17 ・・・・・最高のコンディションが続いています♪

2021年7月10日 21:00 ・・・・・7/8~7/10のログです!!

2021年7月 7日 18:17 ・・・・・砂地、地形、外洋の3本!!

2021年7月 6日 18:12 ・・・・・シュノーケルツアーです!!

2021年7月 5日 22:08 ・・・・・透明度抜群です!!

2021年7月 4日 17:47 ・・・・・行ける時に外洋へ!!

2021年7月 3日 21:52 ・・・・・Mさんご夫婦とダイビング

2021年7月 2日 21:44 ・・・・・最近の出来事

2021年6月27日 23:54 ・・・・・4日間ありがとうございました!!

2021年6月26日 23:59 ・・・・・早朝からナイトまで潜りまくってます

2021年6月25日 21:17 ・・・・・狙っていた景色

2021年6月24日 20:59 ・・・・・ゲストTさん来島!!

2021年6月23日 07:59 ・・・・・新しい発見

2021年6月20日 20:03 ・・・・・ギンポハゼ

2021年6月20日 06:43 ・・・・・ドリフトダイビング

2021年6月19日 08:19 ・・・・・川の調査

2021年6月15日 21:13 ・・・・・ゲストYさんの写真

2021年6月14日 22:48 ・・・・・サンゴ礁保全活動(オニヒトデ駆除作業)

2021年6月13日 21:49 ・・・・・体験ダイビングからの外洋ダイビング

2021年6月11日 05:19 ・・・・・調査ダイブに行ってきました

2021年6月 8日 08:37 ・・・・・マンジュウイシモチygが出ましたよー!!

2021年6月 5日 18:13 ・・・・・台風一過

2021年6月 5日 08:22 ・・・・・ご来島される皆様へ

2021年6月 3日 20:40 ・・・・・4年

2021年5月31日 11:28 ・・・・・サンセット&ナイトダイビングの成果

2021年5月28日 06:31 ・・・・・サンゴの産卵

2021年5月27日 17:27 ・・・・・スズメダイの幼魚がアツいです!!

2021年5月24日 22:26 ・・・・・バラクーダ からの ニシキテグリ

2021年5月20日 16:26 ・・・・・サンゴ礁保全活動(オニヒトデ駆除作業)

2021年5月19日 20:47 ・・・・・ダイビング&スキンダイビング

2021年5月15日 20:32 ・・・・・こりゃ梅雨明けですね

2021年5月11日 09:44 ・・・・・世界自然遺産登録について

2021年5月10日 15:17 ・・・・・貸切バラス島

2021年5月 9日 17:49 ・・・・・5/8のログです!!

2021年5月 8日 21:29 ・・・・・マクロ合宿最終日

2021年5月 7日 19:55 ・・・・・マクロ合宿3日目

2021年5月 6日 20:29 ・・・・・マクロ合宿2日目

2021年5月 5日 17:46 ・・・・・マクロ合宿1日目

2021年5月 4日 20:21 ・・・・・バラクーダ&ギンガメアジのスペシャルコラボ☆

2021年5月 3日 20:26 ・・・・・大物三昧でした

2021年5月 2日 17:58 ・・・・・鳩間エリアへ!!

2021年5月 1日 20:30 ・・・・・最高のコンディションが続いてます!!

2021年4月30日 20:48 ・・・・・ベタ凪ですがやっぱりマクロです

2021年4月29日 17:52 ・・・・・ひたすらマクロ

2021年4月28日 21:20 ・・・・・ウミウシが絶好調です!!

2021年4月27日 22:47 ・・・・・GWスタートです!!

2021年4月25日 22:09 ・・・・・2日分のログです!!

2021年4月23日 10:00 ・・・・・ナミダカワウツボ

2021年4月17日 17:49 ・・・・・波・風を避けてダイビングです

2021年4月14日 07:00 ・・・・・調査ダイビングです!!

2021年4月12日 09:19 ・・・・・ピカチュー祭り!!

2021年4月 4日 21:00 ・・・・・カエルアンコウからのニシキテグリ

2021年4月 3日 21:39 ・・・・・やっぱりヒナイビーチはすごい!!

2021年4月 2日 20:22 ・・・・・入所式

2021年4月 1日 21:46 ・・・・・マングローブダイビング

2021年3月31日 22:57 ・・・・・引っ越し完了です

2021年3月30日 22:57 ・・・・・スッカラカンです...。

2021年3月29日 22:54 ・・・・・ホタルは絶好調なのですが・・・

2021年3月28日 21:27 ・・・・・引っ越し作業も大詰めです!!

2021年3月27日 21:36 ・・・・・5年目突入です

2021年3月26日 22:20 ・・・・・シュノーケルツアー&誕生日のお祝い

2021年3月25日 18:43 ・・・・・良い天気に恵まれました♪

2021年3月25日 18:35 ・・・・・移転のお知らせ

2021年3月24日 21:30 ・・・・・重大なお知らせ

2021年3月23日 21:08 ・・・・・ゲストTさんの写真です

2021年3月22日 20:35 ・・・・・ひたすらウミウシ狙いです

2021年3月21日 21:25 ・・・・・マクロ&ウミウシ狙いです

2021年3月20日 17:59 ・・・・・ベタ凪は今日まで...。

2021年3月19日 23:17 ・・・・・みんなで調査ダイブ 2日目

2021年3月18日 21:59 ・・・・・みんなで調査ダイブ

2021年3月17日 20:34 ・・・・・絶景です♪

2021年3月16日 20:57 ・・・・・湾内でマクロ三昧

2021年3月15日 21:59 ・・・・・続・DIY

2021年3月14日 20:52 ・・・・・1日ずーーーっとDIY

2021年3月13日 21:48 ・・・・・オイランハゼの求愛

2021年3月12日 21:26 ・・・・・ダイビング&SUP&船浮上陸

2021年3月11日 21:48 ・・・・・ホタルツアー

2021年3月10日 15:59 ・・・・・ホタル出始めました

2021年3月 9日 21:21 ・・・・・メンテナンス終了です

2021年3月 8日 20:52 ・・・・・今年度最後のツルヒヨドリ駆除作業

2021年3月 7日 17:55 ・・・・・船のメンテナンス期間です

2021年3月 6日 20:43 ・・・・・調査ダイブ 3日目

2021年3月 5日 23:12 ・・・・・調査ダイブ 2日目

2021年3月 4日 22:10 ・・・・・調査ダイビング 1日目

2021年3月 3日 22:21 ・・・・・春の訪れ

2021年3月 2日 21:52 ・・・・・大シケです...。

2021年3月 1日 22:30 ・・・・・石垣へ

2021年2月28日 21:55 ・・・・・シロボンボンウミウシも出た!!

2021年2月27日 22:04 ・・・・・鹿の川3本!!!

2021年2月26日 23:04 ・・・・・上原エリアでオニヒトデ駆除作業

2021年2月25日 17:19 ・・・・・一昨日のログです

2021年2月24日 21:19 ・・・・・サイズごとに色が違う稚オニヒトデ

2021年2月23日 23:58 ・・・・・午後2ダイブ&ナイトダイブ

2021年2月22日 21:07 ・・・・・良いリフレッシュになりました

2021年2月21日 23:06 ・・・・・浮遊系ダイビング 総集編

2021年2月20日 22:44 ・・・・・相変わらずマンタ絶好調です!!

2021年2月19日 23:40 ・・・・・浮遊系ダイビングの楽しみ方 その1

2021年2月18日 21:14 ・・・・・浮遊系の調査ダイビング 最終日

2021年2月17日 21:19 ・・・・・浮遊系の調査ダイビング 2日目

2021年2月16日 17:44 ・・・・・浮遊系の調査ダイビング 1日目

2021年2月15日 17:41 ・・・・・一眼が復活しました

2021年2月14日 22:12 ・・・・・毎月恒例のカメ調査

2021年2月13日 21:43 ・・・・・マンタ大爆発!!

2021年2月12日 17:14 ・・・・・旧正月

2021年2月11日 20:59 ・・・・・ひたすらパソコン作業です

2021年2月10日 21:35 ・・・・・続・ウミショウブの調査です

2021年2月 9日 21:22 ・・・・・ウミショウブの調査です

2021年2月 8日 17:55 ・・・・・ホソカマスの群れ

2021年2月 7日 20:43 ・・・・・最高のコンディションで体験ダイビング

2021年2月 6日 18:10 ・・・・・ユキフリソデウオが出た!!!

2021年2月 5日 20:22 ・・・・・1日草刈り作業です

2021年2月 4日 16:42 ・・・・・GoPro9が復活しました!!

2021年2月 3日 21:37 ・・・・・寒緋桜が見頃です♪

2021年2月 2日 21:55 ・・・・・4日間ありがとうございました!!

2021年2月 1日 21:29 ・・・・・バラクーダがトルネードしてました!!

2021年1月31日 20:43 ・・・・・今日はハゼ多めです

2021年1月30日 21:41 ・・・・・S姉さん来島!!

2021年1月29日 21:10 ・・・・・昨日のブログ、魚編です!!

2021年1月28日 20:58 ・・・・・魚以外の水中生物

2021年1月27日 23:31 ・・・・・ハゼ調査 その2

2021年1月26日 16:12 ・・・・・サンゴ礁保全活動(オニヒトデ駆除作業)

2021年1月25日 18:14 ・・・・・ハゼ調査

2021年1月24日 19:25 ・・・・・軽トラのオイル交換

2021年1月23日 17:15 ・・・・・お留守番

2021年1月22日 21:00 ・・・・・思ったより穏やか...。

2021年1月21日 16:31 ・・・・・石垣でユキフリソデウオが出たらしい...。

2021年1月20日 16:29 ・・・・・良い天気でした♪

2021年1月19日 16:36 ・・・・・最近潮がヤバイらしい

2021年1月19日 15:54 ・・・・・安栄観光・八重山観光フェリーのご利用について

2021年1月18日 16:42 ・・・・・石垣→西表間の時刻表に変更があります

2021年1月17日 17:14 ・・・・・新しいウェットスーツ

2021年1月16日 16:55 ・・・・・誕生日&昨日の写真

2021年1月15日 21:59 ・・・・・ウミショウブ調査とファンダイビング

2021年1月14日 17:57 ・・・・・毎月恒例のウミショウブ&カメ調査

2021年1月13日 16:52 ・・・・・海に行きたい所ですが・・・

2021年1月12日 21:25 ・・・・・船を降ろしました

2021年1月11日 17:02 ・・・・・陸作業あれこれ

2021年1月10日 16:45 ・・・・・オイル交換

2021年1月 9日 21:53 ・・・・・天井の張り替え作業

2021年1月 8日 16:50 ・・・・・仮死状態の魚たち

2021年1月 7日 16:54 ・・・・・最強寒波の影響で・・・

2021年1月 6日 18:21 ・・・・・本当なら・・・

2021年1月 5日 17:35 ・・・・・太陽が恋しい...。

2021年1月 4日 21:27 ・・・・・最後もやっぱりマンタ&バラクーダ!!

2021年1月 3日 21:16 ・・・・・昨日の写真&動画

2021年1月 2日 20:29 ・・・・・潜り始めはマンタとバラクーダ!!

2021年1月 1日 09:30 ・・・・・謹賀新年

2020年12月31日 17:26 ・・・・・よいお年を!!

2020年12月30日 16:40 ・・・・・マンタ10匹!!

2020年12月29日 22:14 ・・・・・潜り納めはマンタで〆

2020年12月28日 18:36 ・・・・・正月飾り

2020年12月27日 16:46 ・・・・・南風と思いきや・・・

2020年12月26日 20:35 ・・・・・久しぶりのダイビング!!

2020年12月25日 20:29 ・・・・・明日から・・・

2020年12月24日 16:57 ・・・・・答え合わせ

2020年12月23日 22:47 ・・・・・稚ヒトデを探せ!!

2020年12月22日 21:42 ・・・・・タンクバルブ

2020年12月21日 20:39 ・・・・・休息日です

2020年12月20日 23:09 ・・・・・観光案内人条例

2020年12月19日 16:03 ・・・・・稚オニヒトデ答え合わせ

2020年12月18日 21:42 ・・・・・サンゴ礁保全活動(オニヒトデ駆除作業)

2020年12月17日 17:49 ・・・・・晴れたー!!

2020年12月16日 16:46 ・・・・・テングカワハギ

2020年12月15日 17:00 ・・・・・セダカカワハギyg

2020年12月15日 16:46 ・・・・・2021年サガリバナツアー開催予定日

2020年12月15日 16:44 ・・・・・2021年サンゴの産卵予想日

2020年12月14日 21:02 ・・・・・サンゴの色合いについて

2020年12月13日 21:42 ・・・・・サンゴ礁保全活動(オニヒトデ駆除作業)

2020年12月12日 21:40 ・・・・・アオウミガメ&ウミショウブの調査

2020年12月11日 22:06 ・・・・・有藻性サンゴ類の勉強会 海洋実習編

2020年12月10日 17:42 ・・・・・有藻性サンゴ類の勉強会

2020年12月 9日 21:32 ・・・・・初夏の楽しみ

2020年12月 8日 20:15 ・・・・・2021年 サガリバナツアー 開催予定日

2020年12月 7日 20:33 ・・・・・2021年 サンゴの産卵予想日

2020年12月 6日 17:19 ・・・・・西表島のサンゴ礁

2020年12月 5日 16:21 ・・・・・ニチリンダテハゼのペア

2020年12月 4日 21:26 ・・・・・今年大当たりのグルクマ!!

2020年12月 3日 16:41 ・・・・・エリホシベニハゼ

2020年12月 2日 21:25 ・・・・・ミナミキントキ

2020年12月 1日 17:44 ・・・・・ハゼ三昧です

2020年11月30日 22:53 ・・・・・がっつりマクロで4ダイブです!!

2020年11月29日 23:48 ・・・・・じっくり探すと・・・

2020年11月28日 22:48 ・・・・・サプライズマンタ!!

2020年11月27日 16:13 ・・・・・ツルヒヨドリの除草作業

2020年11月26日 21:48 ・・・・・サンゴ礁保全活動(オニヒトデ駆除作業)

2020年11月25日 20:37 ・・・・・お留守番です

2020年11月24日 21:42 ・・・・・続・タンクのメンテナンス

2020年11月23日 21:49 ・・・・・メンテナンスが始まります

2020年11月22日 22:50 ・・・・・3mのマンタから3mmのウミウシまで

2020年11月21日 21:47 ・・・・・連休始まりました

2020年11月20日 21:47 ・・・・・稚オニヒトデを探せ

2020年11月18日 22:13 ・・・・・ゲストOさんの素敵な写真です

2020年11月18日 18:30 ・・・・・マングローブからの外洋ダイビング 3日目

2020年11月17日 17:58 ・・・・・マングローブからの外洋ダイビング 2日目

2020年11月16日 21:09 ・・・・・マングローブからの外洋ダイビング

2020年11月15日 21:07 ・・・・・今シーズン初マンタです

2020年11月14日 20:29 ・・・・・ひたすらハゼです

2020年11月13日 19:52 ・・・・・フタボシイソハゼ

2020年11月12日 21:18 ・・・・・湾奥の泥地ポイントへ

2020年11月11日 23:54 ・・・・・海草の調査です

2020年11月10日 23:57 ・・・・・アオウミガメとウミショウブ

2020年11月 9日 17:35 ・・・・・イタチザメ

2020年11月 8日 23:57 ・・・・・天気急変

2020年11月 7日 21:30 ・・・・・船浮湾内フルコース!!

2020年11月 6日 21:45 ・・・・・体験ダイビング&ファンダイビングのダブルヘッダー

2020年11月 6日 05:36 ・・・・・ツキノワイトヒキベラの求愛

2020年11月 4日 21:34 ・・・・・今日もマクロ三昧です!!

2020年11月 3日 23:51 ・・・・・マクロ三昧!! からの グルクマの群れ

2020年11月 2日 20:59 ・・・・・久しぶりにマングローブダイビング!!

2020年11月 1日 21:16 ・・・・・やっと穏やかになりました♪

2020年10月31日 21:32 ・・・・・がっつりマクロダイブです!!

2020年10月30日 20:13 ・・・・・ワモンキセワタ

2020年10月29日 21:28 ・・・・・鹿の川へ!!!

2020年10月28日 22:29 ・・・・・サンゴ礁保全活動(オニヒトデ駆除作業)

2020年10月27日 17:32 ・・・・・ニシキテグリyg

2020年10月26日 18:33 ・・・・・リベンジ成功!!

2020年10月25日 22:17 ・・・・・船浮・網取・崎山でダイビング

2020年10月24日 20:15 ・・・・・マクロ三昧

2020年10月23日 22:09 ・・・・・休息日

2020年10月21日 16:19 ・・・・・親子でダイビング!!

2020年10月21日 14:26 ・・・・・非常に濃い1日でした◎

2020年10月20日 20:03 ・・・・・船浮湾内フルコース

2020年10月19日 16:07 ・・・・・ウミショウブ&アオウミガメの調査です

2020年10月18日 19:52 ・・・・・北風に強い船浮湾なので安心して遊べます!!

2020年10月17日 22:34 ・・・・・マクロ合宿最終日

2020年10月16日 20:26 ・・・・・マクロ合宿3日目

2020年10月15日 22:10 ・・・・・マクロ合宿2日目

2020年10月14日 22:26 ・・・・・マクロ合宿1日目

2020年10月13日 21:59 ・・・・・懲りずに今日もグルクマ!!

2020年10月12日 22:30 ・・・・・夏再来!?最高のコンディションの中シュノーケルツアーです!!

2020年10月11日 22:42 ・・・・・グルクマの超大群!!

2020年10月10日 21:38 ・・・・・小笠原で働いてた時のお客様が遊びに来てくれてます

2020年10月 9日 14:58 ・・・・・マングローブとヒメツバメウオ

2020年10月 8日 17:59 ・・・・・事務作業な1日

2020年10月 7日 23:08 ・・・・・続・船浮湾内ダイビング

2020年10月 6日 23:08 ・・・・・北風に強い船浮湾

2020年10月 5日 23:52 ・・・・・マングローブ撮影 最終日

2020年10月 4日 23:42 ・・・・・マングローブ撮影 2日目

2020年10月 3日 12:30 ・・・・・マングローブ撮影 1日目

2020年10月 2日 23:19 ・・・・・ナナシカフェ

2020年10月 1日 23:56 ・・・・・スキンダイビングツアー

2020年9月30日 17:57 ・・・・・9月も終わりますね

2020年9月30日 15:15 ・・・・・GoToキャンペーン 地域共通クーポン取扱店になりました

2020年9月29日 21:50 ・・・・・石垣へ

2020年9月28日 21:48 ・・・・・オイル交換

2020年9月28日 21:35 ・・・・・石垣・西表間の定期船について重大なお知らせ

2020年9月27日 23:10 ・・・・・水中の方が快適です

2020年9月26日 23:49 ・・・・・船浮湾内で3ダイブ

2020年9月25日 18:18 ・・・・・グルクマー!!

2020年9月24日 22:46 ・・・・・満員御礼!!

2020年9月23日 21:10 ・・・・・ワイドに攻めます!!

2020年9月22日 21:43 ・・・・・マクロ天国

2020年9月21日 21:00 ・・・・・湾内でのんびりと

2020年9月20日 21:52 ・・・・・念願のマングローブダイブ!!

2020年9月19日 22:27 ・・・・・2日連続ナイトダイビングです

2020年9月18日 17:19 ・・・・・透明度良し!魚も良し!!最高のマングローブダイビングでした

2020年9月17日 20:22 ・・・・・午前は調査、午後はファンダイビング

2020年9月16日 19:55 ・・・・・ウミショウブ、海草、アオウミガメの調査です

2020年9月15日 20:20 ・・・・・お留守番最終日

2020年9月14日 21:30 ・・・・・お留守番2日目

2020年9月13日 20:35 ・・・・・3日間お留守番です

2020年9月12日 22:49 ・・・・・奥西表エリアならではのスキンダイビングツアー

2020年9月11日 19:51 ・・・・・除草作業からの海

2020年9月10日 15:44 ・・・・・今日も除草作業です

2020年9月 9日 18:09 ・・・・・奥西表エリアの人気コースを制覇してきました

2020年9月 8日 19:30 ・・・・・ハゼ調査

2020年9月 7日 22:41 ・・・・・今日はお休み

2020年9月 7日 21:43 ・・・・・マングローブ域でダイビングをご希望される方へ

2020年9月 6日 17:26 ・・・・・続・メンテナンスDay

2020年9月 5日 21:33 ・・・・・船のメンテナンスです

2020年9月 4日 22:49 ・・・・・流れに悩まされた1日

2020年9月 3日 23:25 ・・・・・大きなうねり

2020年9月 2日 20:51 ・・・・・キレイな夕焼け

2020年9月 1日 23:16 ・・・・・防災の日

2020年8月31日 23:58 ・・・・・平和な1日

2020年8月30日 23:56 ・・・・・パソコン復活です

2020年8月29日 23:48 ・・・・・ALL崎山ダイブ!!

2020年8月28日 23:58 ・・・・・アケボノハゼ リベンジ!!

2020年8月27日 22:20 ・・・・・船台のメンテナンス

2020年8月26日 21:05 ・・・・・Yくん来島!!

2020年8月25日 20:50 ・・・・・今日は石垣へ

2020年8月24日 21:26 ・・・・・陸作業な1日

2020年8月23日 11:33 ・・・・・養生解除

2020年8月22日 20:48 ・・・・・台風接近中でしたが・・・

2020年8月21日 20:54 ・・・・・シュノーケル傭船ツアー2日目

2020年8月20日 20:36 ・・・・・シュノーケル傭船ツアー1日目

2020年8月19日 16:51 ・・・・・水落の滝&イダの浜&スキンダイビングツアー

2020年8月18日 22:11 ・・・・・AOW講習2日目

2020年8月17日 21:13 ・・・・・AOW講習1日目

2020年8月16日 21:15 ・・・・・網取~船浮湾内 シュノーケルツアー

2020年8月15日 16:16 ・・・・・今日も外洋へ!!

2020年8月14日 21:33 ・・・・・晴れ 時々 雷雨でしたが透明度は抜群でした!!

2020年8月13日 22:59 ・・・・・○年ぶりのヨコシマニセモチノウオ!!

2020年8月12日 21:41 ・・・・・バリエーション豊かに

2020年8月11日 20:47 ・・・・・リクエストにお応えして・・・

2020年8月10日 21:08 ・・・・・ファンダイビング&体験ダイビング

2020年8月 9日 22:09 ・・・・・北風ですが

2020年8月 8日 17:33 ・・・・・崎山3本!!!

2020年8月 7日 19:00 ・・・・・マングローブ、魚影、サンゴのフルコース

2020年8月 6日 17:35 ・・・・・バラクーダ祭り

2020年8月 5日 15:55 ・・・・・白化が目立ちます...。

2020年8月 4日 21:11 ・・・・・養生解除

2020年8月 3日 14:29 ・・・・・ハグピート

2020年8月 2日 21:21 ・・・・・台風前ですが・・・

2020年8月 1日 22:09 ・・・・・ファンダイビング&OW講習のダブルヘッダー 2日目

2020年7月31日 22:37 ・・・・・ファンダイビング&OW講習のダブルヘッダー

2020年7月30日 22:33 ・・・・・竹富町島々応援クーポン券

2020年7月30日 20:44 ・・・・・網取リベンジ!!

2020年7月29日 20:29 ・・・・・メンテナンスDay

2020年7月28日 15:46 ・・・・・ウミショウブの調査

2020年7月27日 22:10 ・・・・・海鳥観察会

2020年7月26日 07:03 ・・・・・アケボノハゼの子供が出た!!

2020年7月25日 22:50 ・・・・・結婚記念日&結婚10周年&誕生日

2020年7月24日 16:56 ・・・・・今日もマングローブへ!!

2020年7月23日 22:39 ・・・・・マングローブ、サンゴ、スズメダイ、根魚の群れ

2020年7月22日 07:59 ・・・・・続・ネオワイズ彗星

2020年7月21日 17:40 ・・・・・ネオワイズ彗星

2020年7月20日 18:34 ・・・・・ひたすらマクロです

2020年7月19日 21:00 ・・・・・OW講習2日目 イルカも出たー!!!

2020年7月18日 21:40 ・・・・・ファンダイビング&OW講習

2020年7月17日 16:39 ・・・・・シュノーケルとスキンダイビングの違い

2020年7月16日 21:18 ・・・・・今日も午後からシュノーケルツアー

2020年7月15日 17:20 ・・・・・リクエストはカメ!!

2020年7月14日 23:09 ・・・・・午後からシュノーケル

2020年7月13日 22:57 ・・・・・鳩間島へ

2020年7月12日 21:33 ・・・・・魚がたくさん!!

2020年7月11日 23:19 ・・・・・今日は写真だけ

2020年7月10日 22:59 ・・・・・ナイトダイビング リベンジ!!

2020年7月 9日 11:41 ・・・・・今年も見れた!ナカモトイロワケハゼ!!

2020年7月 8日 09:09 ・・・・・七夕 ナイトダイビング

2020年7月 7日 17:42 ・・・・・3日連続サガリバナツアー

2020年7月 6日 08:53 ・・・・・今日もサガリバナ!!

2020年7月 5日 21:09 ・・・・・サガリバナからのダイビング!!

2020年7月 4日 18:13 ・・・・・半日シュノーケルツアー!!

2020年7月 3日 21:40 ・・・・・石垣・西表間の定期船の時刻について 7~9月版

2020年7月 3日 21:00 ・・・・・船浮小・中学校で講話

2020年7月 2日 21:11 ・・・・・あと1日ズレてれば・・・

2020年7月 1日 22:59 ・・・・・続・南風爆風です

2020年6月30日 22:28 ・・・・・南風爆風です

2020年6月29日 22:23 ・・・・・風は強いですが透明度抜群!!

2020年6月28日 22:35 ・・・・・2日分のログです

2020年6月27日 07:59 ・・・・・アケボノハゼ

2020年6月26日 17:11 ・・・・・今日はシュノーケルツアー!!

2020年6月25日 21:55 ・・・・・初マングローブダイブ!!

2020年6月24日 21:59 ・・・・・ユッカヌヒー&ナイトダイビング

2020年6月23日 16:32 ・・・・・久しぶりのモエギハゼ

2020年6月22日 22:39 ・・・・・アツクチスズメダイyg

2020年6月21日 20:25 ・・・・・サガリバナを見に行ってきました!!

2020年6月20日 16:29 ・・・・・続 カメ調査

2020年6月19日 17:10 ・・・・・幼魚祭りだ!!

2020年6月18日 22:50 ・・・・・マクロ尽くし!!

2020年6月17日 22:26 ・・・・・ダイビング&スキンダイビング

2020年6月16日 22:22 ・・・・・ツバサハゼ

2020年6月15日 20:54 ・・・・・ホッと一息

2020年6月14日 20:49 ・・・・・ダイビング後に感じた事

2020年6月14日 11:52 ・・・・・石垣・西表間の定期船の運航スケジュールについて

2020年6月13日 23:25 ・・・・・ダイビング再開です!!

2020年6月12日 20:54 ・・・・・船浦中学校 体験ダイビング

2020年6月11日 17:38 ・・・・・梅雨明けですね

2020年6月10日 21:09 ・・・・・網棚作り

2020年6月 9日 16:13 ・・・・・サンゴの産卵の資料作り

2020年6月 8日 21:28 ・・・・・美田良浜でビーチダイビング

2020年6月 7日 17:59 ・・・・・大原中学校 体験ダイビング

2020年6月 6日 17:00 ・・・・・メンテナンス&大掃除

2020年6月 5日 21:45 ・・・・・カメ調査終了

2020年6月 4日 18:10 ・・・・・ダウンウィンド

2020年6月 3日 20:46 ・・・・・誕生日

2020年6月 2日 23:58 ・・・・・カメ調査

2020年6月 1日 20:23 ・・・・・ヒナイビーチでダイビング

2020年6月 1日 07:16 ・・・・・営業再開&今後の方針について

2020年5月31日 23:59 ・・・・・ウメイロモドキの群れ

2020年5月30日 17:38 ・・・・・○○の卵塊

2020年5月29日 16:42 ・・・・・西表島で見れるアジ科の魚たち

2020年5月29日 13:34 ・・・・・石垣・西表間の定期船の時刻が変わります

2020年5月28日 17:58 ・・・・・西表島で見るサメたち

2020年5月27日 20:02 ・・・・・デバスズメダイの群れ

2020年5月26日 17:24 ・・・・・ゴマニザの群れ

2020年5月25日 20:40 ・・・・・カスミチョウチョウウオの群れ

2020年5月24日 16:59 ・・・・・レインボーゴビー

2020年5月23日 23:58 ・・・・・ヤナギハゼ

2020年5月22日 16:25 ・・・・・チョウチョウコショウダイyg

2020年5月21日 16:54 ・・・・・マンジュウイシモチyg

2020年5月20日 16:29 ・・・・・ナンヨウツバメウオyg

2020年5月19日 16:41 ・・・・・チンアナゴ

2020年5月18日 23:15 ・・・・・モンツキカエルウオ

2020年5月18日 09:36 ・・・・・石垣・西表間の定期船の時刻について

2020年5月17日 22:17 ・・・・・フィコカリス・シムランス

2020年5月16日 19:03 ・・・・・ダルマハゼ

2020年5月15日 20:22 ・・・・・ホソスジマンジュウイシモチの口内保育

2020年5月14日 20:26 ・・・・・キンセンイシモチの口内保育

2020年5月13日 20:08 ・・・・・今が旬のスズメダイたち

2020年5月12日 20:32 ・・・・・春は大物・回遊魚の季節

2020年5月11日 17:45 ・・・・・ライトトラップの成果

2020年5月10日 20:25 ・・・・・サンゴが産卵してました

2020年5月 9日 17:22 ・・・・・サンゴの産卵

2020年5月 8日 17:58 ・・・・・水面鏡の写真

2020年5月 7日 16:25 ・・・・・ホシカゲアゴアマダイ

2020年5月 6日 17:37 ・・・・・家族サービスDay

2020年5月 5日 19:30 ・・・・・こどもの日

2020年5月 4日 17:06 ・・・・・オニヒトデに住む生物たち

2020年5月 3日 17:00 ・・・・・オニヒトデ駆除作業

2020年5月 2日 20:05 ・・・・・西表島のサンゴとマンジュウイシモチ

2020年5月 1日 19:01 ・・・・・近況報告

2020年5月 1日 09:46 ・・・・・休業延長のお知らせ

2020年4月30日 17:33 ・・・・・ハンマーヘッドシャーク

2020年4月29日 17:38 ・・・・・与那国島で浮遊系ダイビング

2020年4月28日 16:51 ・・・・・与那国マクロ編

2020年4月27日 17:00 ・・・・・ハンマー以外の魚たち

2020年4月26日 22:15 ・・・・・与那国島の海底遺跡

2020年4月25日 17:00 ・・・・・冬の与那国島へ

2020年4月24日 17:29 ・・・・・パラオの海

2020年4月23日 17:37 ・・・・・屋久島へ

2020年4月22日 15:21 ・・・・・八丈島の海

2020年4月21日 20:44 ・・・・・三宅島の海

2020年4月20日 22:38 ・・・・・西表島の海

2020年4月19日 13:21 ・・・・・石垣島の海

2020年4月18日 16:48 ・・・・・与那国島のカジキ釣り

2020年4月18日 15:57 ・・・・・定期船の減便について 最新版

2020年4月17日 17:59 ・・・・・与那国島の海

2020年4月16日 15:45 ・・・・・神子元島 → 黄金崎 → 伊豆海洋公園

2020年4月15日 20:07 ・・・・・小笠原のお見送り風景

2020年4月14日 20:31 ・・・・・新型コロナウイルスによる営業自粛について 4/14追記

2020年4月14日 14:14 ・・・・・小笠原で見た皆既日食

2020年4月13日 14:09 ・・・・・小笠原のマクロ生物たち

2020年4月12日 13:38 ・・・・・マクロを好きになったきっかけ

2020年4月11日 16:36 ・・・・・ニラミハナダイ

2020年4月10日 10:52 ・・・・・ミズタマヤッコ

2020年4月 9日 20:35 ・・・・・小笠原の大物・回遊魚たち

2020年4月 8日 16:03 ・・・・・イルカの写真

2020年4月 7日 23:49 ・・・・・定期船の減便について

2020年4月 7日 22:15 ・・・・・新型コロナウイルスに関する営業縮小・自粛のお知らせ

2020年4月 7日 17:40 ・・・・・ホエールウォッチング

2020年4月 6日 21:00 ・・・・・クジラとの出会い

2020年4月 5日 14:25 ・・・・・小笠原と言えばマグロ穴

2020年4月 4日 11:05 ・・・・・素潜り(スキンダイビング)の特訓

2020年4月 3日 22:16 ・・・・・初めて潜るポイントでは・・・

2020年4月 2日 17:32 ・・・・・小笠原行きを決めた理由

2020年4月 1日 16:41 ・・・・・始まりの島・小笠原諸島

2020年3月31日 22:22 ・・・・・明日から新年度ですね。

2020年3月30日 17:34 ・・・・・貸切ダイビング!!

2020年3月29日 22:08 ・・・・・船底掃除&ホソスジマンジュウイシモチ

2020年3月28日 21:02 ・・・・・今日も水落の滝へ

2020年3月27日 21:38 ・・・・・マングローブ、滝、SUP、シュノーケルのフルコース

2020年3月23日 22:23 ・・・・・ヤエヤマボタル撮影ツアー

2020年3月22日 09:59 ・・・・・リクエストは・・・クジャクベラ!!

2020年3月20日 23:59 ・・・・・カエルアンコウ・ハナオコゼの当たり年!?

2020年3月19日 07:22 ・・・・・イソマグロ大当たり!!

2020年3月15日 17:53 ・・・・・3月の3連休&春休みを西表島で過ごす方へ

2020年3月 8日 18:43 ・・・・・超マクロ狙いで4ダイブ

2020年3月 6日 22:52 ・・・・・今シーズン初のマングローブダイブ!!

2020年3月 5日 17:27 ・・・・・海岸清掃に参加してきました

2020年3月 4日 21:54 ・・・・・2/27~3/1分のログです。

2020年2月27日 21:51 ・・・・・クジラの鳴き声が聞こえてます

2020年2月25日 21:37 ・・・・・ホタルの観察・撮影について

2020年2月24日 22:45 ・・・・・2/22・2/23のログです。

2020年2月24日 16:20 ・・・・・カマスが増えてきた!!

2020年2月23日 22:53 ・・・・・オイランハゼの求愛

2020年2月14日 22:57 ・・・・・南風が強い

2020年2月13日 16:28 ・・・・・1週間分のログです。

2020年2月 6日 22:39 ・・・・・今日もドマクロなダイビング

2020年2月 5日 21:16 ・・・・・藻場で見れる生物たち

2020年2月 4日 22:00 ・・・・・ウミウシダイブ!!

2020年2月 3日 22:46 ・・・・・浦内川魚類調査

2020年2月 2日 21:20 ・・・・・コブシメの産卵が始まりました!!

2020年1月31日 21:07 ・・・・・今年1番の冷え込み

2020年1月28日 23:11 ・・・・・冬の西表島

2020年1月23日 21:59 ・・・・・ウミウシ合宿最終日&超マクロ攻め!!

2020年1月22日 22:35 ・・・・・ウミウシ合宿2日目&今日からマクロも!!

2020年1月21日 21:48 ・・・・・ウミウシ合宿1日目&おまけにバラクーダも。

2020年1月17日 16:30 ・・・・・崎山を目指すも・・・

2020年1月12日 21:14 ・・・・・予報通り時化ました・・・。

2020年1月11日 22:15 ・・・・・ハナイカ現る!!

2020年1月10日 21:36 ・・・・・サンゴ礁保全活動

2020年1月 7日 20:59 ・・・・・コンディションが良いうちに・・・

2020年1月 5日 23:09 ・・・・・ウミウシが増えてきた!!

2020年1月 3日 23:01 ・・・・・今日はシュノーケル!!

2020年1月 3日 09:39 ・・・・・天気良し!!

2020年1月 1日 23:45 ・・・・・謹賀新年

2019年12月31日 15:37 ・・・・・12月を振り返る

2019年12月30日 23:58 ・・・・・潜り納め!!

2019年12月29日 20:18 ・・・・・潜ってしまえば関係なし♪

2019年12月26日 22:19 ・・・・・ベタ凪です♪

2019年12月22日 22:45 ・・・・・芸能祭が終わりました。

2019年12月 1日 22:38 ・・・・・11月27日 スキンダイビングツアー

2019年11月26日 22:16 ・・・・・稚オニヒトデ調査 2日目

2019年11月26日 20:55 ・・・・・回遊魚もたっぷり!!

2019年11月25日 17:57 ・・・・・稚オニヒトデの調査

2019年11月24日 22:59 ・・・・・カマス おかえりー!!

2019年11月23日 17:50 ・・・・・10日ぶりの更新です

2019年11月13日 23:58 ・・・・・最高のコンディションです♪

2019年11月11日 22:17 ・・・・・10/26~11/7、約2週間分の総集編です。

2019年11月10日 21:58 ・・・・・クレジット決済・キャッシュレス決済の導入

2019年11月 7日 22:12 ・・・・・一区切り

2019年11月 2日 05:58 ・・・・・ナカモトイロワケハゼ

2019年11月 1日 06:08 ・・・・・アオスジスズメダイ

2019年10月31日 06:12 ・・・・・小笠原時代のお客様が遊びに来てくれてます♪

2019年10月30日 05:52 ・・・・・4日間ありがとうございました!!

2019年10月29日 06:16 ・・・・・マングローブ、タイドプール、ビーチダイビング

2019年10月27日 21:36 ・・・・・久しぶりの外洋&4ダイブ

2019年10月26日 22:09 ・・・・・透明度抜群です!!

2019年10月22日 20:37 ・・・・・快晴!!!

2019年10月21日 21:44 ・・・・・ようやく・・・

2019年10月20日 21:28 ・・・・・思ったよりは・・・

2019年10月19日 20:56 ・・・・・北風ビュービュー

2019年10月18日 20:55 ・・・・・少しだけよくなりましたが・・・

2019年10月17日 18:20 ・・・・・狙いを決めて・・・

2019年10月16日 20:52 ・・・・・透明度が良くなってきた!!

2019年10月15日 18:00 ・・・・・4日分のまとめです。

2019年10月11日 21:12 ・・・・・穏やかな所でダイビング!!

2019年10月 9日 21:08 ・・・・・船長 兼 調査ダイブ!!

2019年10月 9日 17:50 ・・・・・初めてのシュノーケル&体験ダイビング!!

2019年10月 7日 21:43 ・・・・・大原中学校 体験ダイビング

2019年10月 5日 20:10 ・・・・・スキンダイビングツアー!!

2019年10月 3日 16:45 ・・・・・奥西表エリアで初記録!!ナカモトイロワケハゼ

2019年10月 2日 20:41 ・・・・・元通り

2019年10月 1日 21:40 ・・・・・9/26~28日 3日分のログです!!

2019年9月30日 05:47 ・・・・・またまた台風です((+_+))

2019年9月27日 22:54 ・・・・・またまた新しい発見が!!!

2019年9月26日 22:25 ・・・・・ホムラダマシ(仮)のオスが出ました!!

2019年9月25日 21:13 ・・・・・早朝ダイブ その2

2019年9月24日 21:56 ・・・・・早朝ダイブ!!

2019年9月23日 20:39 ・・・・・調査へ!!

2019年9月22日 22:01 ・・・・・運動会を見に行ってきました。

2019年9月20日 23:27 ・・・・・パソコンがお亡くなりになりました・・・。

2019年9月19日 23:35 ・・・・・時間があるので・・・

2019年9月18日 23:27 ・・・・・キャンセル続出です...。

2019年9月16日 23:59 ・・・・・1週間分のログです

2019年9月10日 23:12 ・・・・・アミメウロコウミウシ 大量発生中!!

2019年9月10日 03:15 ・・・・・最後はやっぱりダルマハゼ♪

2019年9月 8日 21:54 ・・・・・昨日以上にマクロ攻め!!!

2019年9月 7日 22:18 ・・・・・今日もマクロ攻めです!!

2019年9月 5日 17:19 ・・・・・学科日和です。

2019年9月 4日 08:00 ・・・・・がっつりマクロダイブ!

2019年9月 2日 10:58 ・・・・・OW講習です!

2019年9月 1日 23:58 ・・・・・2019年10月1日より 料金が変わります

2019年8月30日 18:53 ・・・・・あしびなーらTシャツができました◎

2019年8月29日 18:08 ・・・・・快晴・ベタ凪♪

2019年8月27日 22:06 ・・・・・半日シュノーケルツアー

2019年8月25日 21:07 ・・・・・8/16~8/18 3日間分のログです!!

2019年8月24日 17:48 ・・・・・台風直前とは思えない程穏やかでした♪

2019年8月22日 20:59 ・・・・・透明度が良すぎる!!

2019年8月21日 23:32 ・・・・・網取→崎山→船浮でシュノーケル!!

2019年8月20日 21:59 ・・・・・網取&船浮でシュノーケル!!

2019年8月15日 22:29 ・・・・・Hさんファミリー・Kさんファミリーとシュノーケルツアー

2019年8月14日 17:06 ・・・・・お盆ですがマンツーマンでダイビングです...(^_^;)

2019年8月13日 17:15 ・・・・・船浮発のダイビングツアー!!

2019年8月12日 21:51 ・・・・・ダイビング再開!!

2019年8月11日 21:56 ・・・・・大掃除

2019年8月 9日 10:30 ・・・・・台風9号 最新情報(10:30更新)

2019年8月 8日 18:00 ・・・・・台風9号 最新情報(18:00更新)

2019年8月 8日 07:50 ・・・・・台風9号最新情報

2019年8月 7日 18:49 ・・・・・3日分のログです!!

2019年8月 4日 15:12 ・・・・・マングローブからイルカまで盛りだくさん!

2019年8月 1日 18:10 ・・・・・家族みんなで海へ!!

2019年7月31日 17:38 ・・・・・Mさんファミリーとシュノーケルツアー

2019年7月31日 05:45 ・・・・・台風が来る前に・・・

2019年7月29日 19:05 ・・・・・外洋3本!!!

2019年7月29日 05:59 ・・・・・シュノーケル&ダイビングのダブルツアー!!

2019年7月27日 21:27 ・・・・・みんなでわいわいシュノーケルツアー

2019年7月26日 21:55 ・・・・・Nさんファミリーとシュノーケルツアー

2019年7月24日 07:57 ・・・・・絶好の海日和&マングローブ日和♪

2019年7月21日 21:08 ・・・・・サガリバナ リベンジ!!

2019年7月17日 17:36 ・・・・・サガリバナツアーからの台風養生

2019年7月16日 18:15 ・・・・・さすが海の日!!ベタ凪&快晴で最高の1日でした♪

2019年7月16日 17:47 ・・・・・ウェディングフォトにも挑戦!?

2019年7月16日 10:06 ・・・・・透明度復活!!マングローブダイブに行ってきました♪

2019年7月16日 10:06 ・・・・・満員御礼!!

2019年7月16日 08:06 ・・・・・ナイトロックス講習からの4ダイブ!!

2019年7月10日 22:08 ・・・・・小笠原のご縁

2019年7月 7日 02:59 ・・・・・体験ダイビングとスキンダイビングのダブルヘッダー

2019年7月 6日 22:22 ・・・・・マングローブダイブ!!

2019年7月 5日 21:59 ・・・・・サガリバナからダイビングまで遊び倒してます!!

2019年7月 4日 17:42 ・・・・・サガリバナツアー 絶好調です♪

2019年7月 2日 18:36 ・・・・・イダの浜ツアー

2019年7月 1日 18:17 ・・・・・4日間ありがとうございました!!

2019年6月30日 21:53 ・・・・・じっくりフィッシュウォッチング!!

2019年6月29日 17:22 ・・・・・梅雨明け!!

2019年6月28日 21:08 ・・・・・透明度が更に良くなってます!!

2019年6月27日 22:29 ・・・・・天気良し!透明度良し!!

2019年6月27日 07:15 ・・・・・北側でダイビングです

2019年6月25日 21:45 ・・・・・オガンに行ってきましたー!!!

2019年6月25日 02:31 ・・・・・初日から4ダイブです!!

2019年6月24日 00:16 ・・・・・マクロが面白い季節です♪

2019年6月21日 00:45 ・・・・・シュノーケル&ダイビングのダブルヘッダー

2019年6月19日 23:28 ・・・・・ピナイサーラ、マングローブ、ナイトダイビングも!!

2019年6月17日 21:50 ・・・・・ダルマハゼとサガリバナ

2019年6月15日 22:29 ・・・・・マンジュウイシモチとウミショウブ

2019年6月13日 23:59 ・・・・・サンゴ礁保全活動です

2019年6月11日 19:58 ・・・・・本日もシュノーケルツアー

2019年6月 9日 17:46 ・・・・・1日シュノーケルツアー

2019年6月 9日 03:28 ・・・・・海神祭が終わりました

2019年6月 4日 09:42 ・・・・・Anemone号 2歳になりました

2019年6月 1日 23:45 ・・・・・小笠原では見れない魚たち

2019年5月31日 23:09 ・・・・・シュノーケルツアー

2019年5月30日 21:15 ・・・・・10日分のまとめです!

2019年5月20日 22:38 ・・・・・マグロ&バラクーダ祭り!!!

2019年5月15日 16:19 ・・・・・崎山・網取エリアへ!!

2019年5月14日 22:09 ・・・・・サンゴ礁保全活動

2019年5月 7日 19:01 ・・・・・GWも終わり・・・

2019年5月 6日 23:29 ・・・・・GW最終日

2019年5月 5日 23:42 ・・・・・GW9日目

2019年5月 4日 23:57 ・・・・・GW8日目

2019年5月 3日 23:55 ・・・・・GW7日目

2019年5月 3日 00:37 ・・・・・GW6日目

2019年5月 2日 03:07 ・・・・・GW5日目

2019年5月 1日 07:34 ・・・・・GW4日目

2019年4月29日 23:29 ・・・・・GW2日目&3日目

2019年4月27日 23:59 ・・・・・GW始まりました!!

2019年4月26日 23:19 ・・・・・10日間の出来事を振り返ります。

2019年4月16日 21:49 ・・・・・アメリカハマグルマ除草作業

2019年4月14日 21:43 ・・・・・サンゴの撮影!!

2019年4月12日 21:50 ・・・・・遊び倒してました!!

2019年4月 8日 09:09 ・・・・・久しぶりのダイビング

2019年4月 2日 18:10 ・・・・・ユツン川の海岸清掃

2019年3月31日 23:10 ・・・・・ヤエヤマボタルの鑑賞・撮影について

2019年3月27日 22:25 ・・・・・3年目に突入です

2019年3月26日 13:45 ・・・・・家族で貸切シュノーケルツアー

2019年3月23日 18:32 ・・・・・1週間分まとめです

2019年3月14日 23:59 ・・・・・コンディションが良いうちにダイビングへ!!

2019年3月10日 17:26 ・・・・・シュノーケルのお手伝い

2019年3月 8日 18:47 ・・・・・初めての体験ダイビング!!

2019年3月 7日 20:15 ・・・・・ワンちゃんと一緒にシュノーケルツアー!!

2019年3月 5日 21:24 ・・・・・カメラトラブルにつき・・・

2019年3月 3日 19:25 ・・・・・今日もマクロ全開です!!

2019年3月 2日 02:53 ・・・・・4日間の総まとめです!!

2019年2月28日 22:59 ・・・・・ウミウシたっぷりダイビング&カメと泳げたシュノーケル

2019年2月27日 21:34 ・・・・・今日もひたすらマクロ攻め!!

2019年2月26日 21:18 ・・・・・マクロ狙いの合間にコブシメ&カマス!!

2019年2月21日 23:56 ・・・・・1週間ぶりのダイビング&ホタルチェック

2019年2月16日 22:44 ・・・・・今日も海岸清掃へ

2019年2月14日 23:12 ・・・・・2月とは思えない程のポカポカ陽気♪

2019年2月13日 21:13 ・・・・・カマス&コブシメを狙います!!

2019年2月11日 19:47 ・・・・・海岸清掃&やまねこマラソン

2019年2月 5日 19:34 ・・・・・途中で上原欠航!?

2019年2月 2日 15:40 ・・・・・週末は天気良さそう?

2019年1月28日 23:08 ・・・・・1月とは思えない絶好のコンディションです!!

2019年1月26日 15:54 ・・・・・サプライズゲスト来島です!!

2019年1月25日 23:19 ・・・・・サンゴ礁保全活動(オニヒトデ駆除作業)

2019年1月24日 22:17 ・・・・・第4回 浦内川魚類調査

2019年1月23日 22:33 ・・・・・ご報告です

2019年1月16日 08:08 ・・・・・たっぷり泳いで大満足なスキンダイビングツアー☆

2019年1月14日 23:08 ・・・・・マクロネタ、充実してます!!

2019年1月13日 18:57 ・・・・・西表ならではの生物

2019年1月 6日 09:58 ・・・・・体験ダイビング&スキンダイビングツアー

2019年1月 3日 22:24 ・・・・・ご家族でスノーケルツアー

2019年1月 1日 20:43 ・・・・・2019年始まりました!!

2018年12月31日 18:04 ・・・・・2018年を振り返る

2018年12月30日 22:05 ・・・・・年の瀬ですね

2018年12月23日 23:46 ・・・・・昨日のダイビング&今日のスノーケル

2018年12月20日 21:28 ・・・・・調査ダイブへ!!

2018年12月16日 23:10 ・・・・・潜り納め!?

2018年12月15日 21:33 ・・・・・1週間分の出来事です。

2018年12月 9日 02:26 ・・・・・芸能祭やります!!

2018年12月 3日 21:00 ・・・・・崎山→網取→船浮のフルコース

2018年12月 2日 01:16 ・・・・・ユツンの滝

2018年11月30日 02:33 ・・・・・スキンダイビングツアー

2018年11月26日 23:29 ・・・・・サンゴ礁保全活動(オニヒトデ駆除作業)

2018年11月25日 23:55 ・・・・・ハゼ三昧!!

2018年11月24日 21:59 ・・・・・今日は4ダイブ!!!!

2018年11月23日 21:35 ・・・・・超マクロな1日

2018年11月22日 18:40 ・・・・・大シケですがマンタ出ました!!

2018年11月21日 19:06 ・・・・・磁気探査機を使っての調査ダイブです

2018年11月20日 19:48 ・・・・・アメリカハマグルマ除草作業

2018年11月17日 18:05 ・・・・・スノーケル&ダイビング&SUPの贅沢ツアー

2018年11月14日 03:48 ・・・・・3日間ありがとうございました!!

2018年11月12日 22:25 ・・・・・今日もマングローブとトントンミー

2018年11月11日 20:29 ・・・・・チンアナゴの日

2018年11月 7日 23:20 ・・・・・今年4回目です

2018年11月 6日 21:41 ・・・・・PR動画を作ってもらいました!!

2018年11月 5日 18:56 ・・・・・のんびり2ダイブです♪

2018年11月 4日 18:39 ・・・・・透明度良好♪

2018年11月 3日 22:24 ・・・・・今日もマングローブ

2018年11月 2日 18:32 ・・・・・メンテナンスday

2018年11月 1日 23:10 ・・・・・あと2ヵ月・あと半年

2018年10月29日 23:33 ・・・・・透明度20cm!?

2018年10月27日 07:42 ・・・・・大物&魚影のワイド三昧

2018年10月25日 18:31 ・・・・・水落の滝~船浮湾スノーケルツアー

2018年10月24日 18:08 ・・・・・多忙につき・・・

2018年10月22日 20:59 ・・・・・サンゴ礁保全活動(オニヒトデ駆除作業)

2018年10月20日 21:08 ・・・・・ようやく湾内脱出

2018年10月19日 21:20 ・・・・・第3回 浦内川魚類調査

2018年10月18日 18:55 ・・・・・ネットの調子が悪い・・・

2018年10月16日 23:56 ・・・・・水落の滝&スノーケルツアー

2018年10月15日 17:13 ・・・・・スノーケル&イダの浜ツアー

2018年10月15日 16:50 ・・・・・ダイビング&船浮大運動会

2018年10月12日 18:42 ・・・・・少ーし回復しました

2018年10月11日 23:52 ・・・・・大時化です(+_+)

2018年10月10日 22:59 ・・・・・取材のお手伝い

2018年10月 9日 22:08 ・・・・・明日の下見

2018年10月 8日 17:42 ・・・・・上原エリアでダイビング!!

2018年10月 6日 18:23 ・・・・・リハビリダイビング

2018年10月 5日 22:51 ・・・・・長かった・・・。

2018年10月 4日 16:43 ・・・・・写真データの整理

2018年10月 2日 19:14 ・・・・・大掃除をしよう!!

2018年9月30日 22:36 ・・・・・養生解除

2018年9月28日 17:43 ・・・・・暴風警報が出ましたが・・・

2018年9月26日 20:22 ・・・・・台風養生

2018年9月25日 22:53 ・・・・・白浜青年会キャンプツアー

2018年9月25日 07:24 ・・・・・9月23日ログです。外洋4本!!

2018年9月20日 21:52 ・・・・・必殺 メディア入れ忘れ

2018年9月19日 04:19 ・・・・・ライトトラップ&オイランハゼ大爆発

2018年9月17日 18:47 ・・・・・ダイビング再開!!

2018年9月16日 18:29 ・・・・・敬老会

2018年9月13日 22:15 ・・・・・カメで始まりカメに終わる

2018年9月11日 16:06 ・・・・・半日スノーケルツアー

2018年9月 9日 06:28 ・・・・・ダルマハゼ探し

2018年9月 7日 22:34 ・・・・・リクエスト通りとはいきませんでしたが・・・

2018年9月 6日 18:30 ・・・・・お久しぶりの沖の根バラクーダ!!

2018年9月 6日 04:38 ・・・・・4ダイブ!!

2018年9月 4日 23:59 ・・・・・マクロDay

2018年9月 3日 23:37 ・・・・・超ベタ凪です♪

2018年9月 2日 20:18 ・・・・・マングローブリクエスト

2018年9月 1日 19:08 ・・・・・絶好のスノーケル日和です♪

2018年8月31日 18:20 ・・・・・絶好のダイビング日和です♪

2018年8月30日 21:27 ・・・・・久しぶりの晴れ&外洋

2018年8月29日 19:35 ・・・・・素潜りの特訓です!

2018年8月28日 22:22 ・・・・・ロープ補修作業

2018年8月26日 22:24 ・・・・・昨日より時化てますけど・・・。

2018年8月25日 22:17 ・・・・・少し回復しました

2018年8月24日 21:45 ・・・・・ダイビング中止

2018年8月23日 21:53 ・・・・・のんびりフォトダイブ

2018年8月22日 20:56 ・・・・・今日もモエギハゼ

2018年8月21日 21:43 ・・・・・半日スノーケル&オイル交換

2018年8月20日 18:33 ・・・・・モエギ祭り 開催中!!

2018年8月19日 21:19 ・・・・・1年ぶりのスノーケル傭船ツアー

2018年8月18日 21:57 ・・・・・Mさん家族と貸切ツアー

2018年8月17日 17:37 ・・・・・中止にしなくて良かった~!!

2018年8月16日 20:36 ・・・・・大雨ですが水はキレイです!!

2018年8月14日 18:15 ・・・・・親子でダイビング

2018年8月13日 19:23 ・・・・・海況復活!! だけど熱低ができる!?

2018年8月12日 13:41 ・・・・・昨日のログです

2018年8月11日 21:28 ・・・・・今日もダイビング&スノーケル

2018年8月10日 22:04 ・・・・・ダイビングもスノーケルもSUPも大満足な1日でした◎

2018年8月 9日 20:39 ・・・・・外洋3本!!!

2018年8月 7日 20:59 ・・・・・ゴマモンガラ コワイ

2018年8月 6日 19:18 ・・・・・年に数回しかない景色

2018年8月 5日 18:48 ・・・・・マンツーマンでのんびりダイビング

2018年8月 4日 18:31 ・・・・・スノーケル傭船ツアー

2018年8月 3日 18:42 ・・・・・水没チェックからのマングローブ撮影

2018年8月 2日 19:59 ・・・・・スノーケル ダブルヘッダー

2018年8月 1日 16:26 ・・・・・マングローブ撮影からの一眼水没

2018年7月31日 18:31 ・・・・・4日分のログです

2018年7月30日 00:12 ・・・・・スノーケル、ダイビング、ナイトダイビング

2018年7月28日 20:52 ・・・・・マングローブ日和♪

2018年7月27日 21:21 ・・・・・ベタ凪・快晴・透明度抜群!!

2018年7月26日 21:17 ・・・・・イカ・タコ・ニモ・ドリー・カメの頭(?)

2018年7月25日 19:19 ・・・・・カメ尽くしのスノーケルツアー

2018年7月23日 11:43 ・・・・・スノーケルツアーからの熱低対策

2018年7月20日 21:51 ・・・・・新アイテム

2018年7月19日 20:33 ・・・・・透明度抜群!で体験ダイビング!!

2018年7月15日 22:22 ・・・・・崎山尽くし!透明度もヤバイっす!!

2018年7月14日 20:07 ・・・・・サガリバナ&ウミショウブツアー

2018年7月13日 22:13 ・・・・・4ダイブ!!

2018年7月12日 21:39 ・・・・・ダイビング再開です!!

2018年7月11日 18:23 ・・・・・台風一過

2018年7月10日 09:41 ・・・・・7月10日 台風最新情報

2018年7月 9日 09:02 ・・・・・台風情報とお知らせ

2018年7月 8日 23:50 ・・・・・ハゼ三昧!!

2018年7月 7日 18:40 ・・・・・スノーケル&ダイビング&船浮ランチ&水落の滝

2018年7月 2日 19:25 ・・・・・サガリバナツアー&マングローブスノーケルツアー

2018年7月 1日 20:35 ・・・・・プラピルーン

2018年6月30日 21:38 ・・・・・ダブルヘッダー

2018年6月29日 20:36 ・・・・・S姉さん来島!!

2018年6月28日 14:41 ・・・・・今季初サガリバナツアー&網取スノーケルツアー

2018年6月27日 17:39 ・・・・・ウミシダをうまく活用しよう

2018年6月26日 23:58 ・・・・・リクエストは『黄色のジョーフィッシュ』『ハゼ』『幼魚』です

2018年6月24日 05:48 ・・・・・梅雨明けです!

2018年6月22日 22:27 ・・・・・久しぶりのダイビングです

2018年6月19日 12:15 ・・・・・海神祭 終了しました

2018年6月15日 01:31 ・・・・・台風発生か?

2018年6月13日 00:37 ・・・・・撮影ツアー

2018年6月10日 20:57 ・・・・・ひたすらマクロ!

2018年6月 8日 08:27 ・・・・・サンゴの産卵

2018年6月 7日 16:57 ・・・・・調査ダイブ

2018年6月 6日 22:40 ・・・・・海上保安庁との合同訓練&防災講習会に参加してきました

2018年6月 4日 22:50 ・・・・・3PIECE DIVERS 西表島ツアー 第2弾!!

2018年6月 3日 22:57 ・・・・・1歳の誕生日です

2018年6月 2日 22:22 ・・・・・ハナゴンベ・ニチリン・マンジュウ狙いです!!

2018年6月 1日 00:29 ・・・・・遊びすぎた・・・。

2018年5月30日 23:10 ・・・・・サンゴが産卵してますよ~

2018年5月29日 22:46 ・・・・・上原でダイビング!!

2018年5月28日 17:05 ・・・・・オイランハゼのディスプレイ(求愛行動)がアツいです!!

2018年5月23日 17:49 ・・・・・N夫婦とダイビングです

2018年5月22日 19:18 ・・・・・サンゴ礁保全活動

2018年5月21日 18:15 ・・・・・小満芒種

2018年5月19日 22:03 ・・・・・オイランハゼ&モエギハゼの動画撮影!!

2018年5月18日 21:35 ・・・・・バラクーダ祭り!!

2018年5月17日 19:52 ・・・・・カーナ取り&のんびりダイビング

2018年5月15日 18:54 ・・・・・健康診断

2018年5月14日 23:05 ・・・・・南十字星

2018年5月13日 23:19 ・・・・・返り討ち...(T-T)

2018年5月12日 23:32 ・・・・・まだ居てくれました!!

2018年5月10日 19:19 ・・・・・アイゴの大群

2018年5月 9日 18:23 ・・・・・水落の滝

2018年5月 8日 21:36 ・・・・・梅雨入りしました。

2018年5月 6日 17:39 ・・・・・GW無事に終了しました

2018年5月 4日 20:31 ・・・・・GWですがマンツーマンでダイビングです!

2018年5月 4日 06:41 ・・・・・3PIECE DIVERS 西表ツアー 終了!!

2018年5月 1日 18:35 ・・・・・3PIECE DIVERS 西表ツアー!!

2018年4月30日 22:12 ・・・・・水がキレイすぎた!!

2018年4月29日 21:28 ・・・・・最高のコンディションです♪

2018年4月27日 16:53 ・・・・・沖の根 3連チャン!!!

2018年4月26日 22:59 ・・・・・水温26℃です!!

2018年4月22日 18:39 ・・・・・西表島初記録?ニラミハナダイ!!

2018年4月21日 18:12 ・・・・・サプライズマンタ!!

2018年4月20日 11:15 ・・・・・看板ができました♪

2018年4月14日 16:25 ・・・・・ダイビング、ドローン、メンテナンス

2018年4月10日 18:32 ・・・・・サンゴ・サンゴからのマグロ祭り!!

2018年4月 9日 18:53 ・・・・・ドローン撮影 再び!!

2018年4月 8日 22:20 ・・・・・スイカを植えてきました

2018年4月 7日 22:19 ・・・・・時化に強い西表島!

2018年4月 6日 17:26 ・・・・・ナイス判断でした

2018年4月 4日 18:10 ・・・・・フチドリハナダイ天国

2018年4月 3日 19:10 ・・・・・水道パイプの修理

2018年4月 1日 19:42 ・・・・・エイプリールフールという事で・・・

2018年3月31日 18:56 ・・・・・水落の滝&イダの浜ツアー

2018年3月30日 17:40 ・・・・・春ですね~♪

2018年3月29日 09:47 ・・・・・ポイント調査

2018年3月27日 21:13 ・・・・・遊びなーら1周年はマンタにクジラ!?

2018年3月23日 23:16 ・・・・・北側でダイビング!

2018年3月22日 11:22 ・・・・・コブシメの産卵&生態

2018年3月19日 19:36 ・・・・・もはや夏です!

2018年3月17日 16:20 ・・・・・2018年 サンゴの産卵予想 in 西表島

2018年3月16日 21:03 ・・・・・ホネラ海岸 ビーチクリーン作業

2018年3月15日 20:44 ・・・・・オリオン座とヤエヤマボタルのコラボ写真

2018年3月13日 09:55 ・・・・・ヤエヤマボタル 2018,03,12

2018年3月12日 17:42 ・・・・・産卵シーンの撮影です

2018年3月11日 17:28 ・・・・・ホタテツノハゼ

2018年3月 8日 20:24 ・・・・・ライトトラップ in 西表島 徹底解説

2018年3月 5日 22:42 ・・・・・10日間ありがとうございました!!

2018年3月 4日 17:29 ・・・・・モエギハゼのリベンジへ!

2018年3月 3日 23:48 ・・・・・深海性のイカが出ちゃいました!!

2018年3月 2日 23:48 ・・・・・ライトトラップ in 西表島

2018年3月 2日 19:25 ・・・・・コブシメが産卵してました!!

2018年3月 2日 07:09 ・・・・・昨晩の地震について

2018年3月 1日 19:55 ・・・・・西表島撮影ツアー

2018年2月28日 20:57 ・・・・・みだら浜 2連チャンです

2018年2月27日 22:12 ・・・・・モエギからカマスまで 2日分のログです

2018年2月25日 21:23 ・・・・・太陽があるうちに

2018年2月24日 23:23 ・・・・・カズくん来島!!

2018年2月21日 19:01 ・・・・・モエギ・マンジュウ・パロンの3本コースです

2018年2月20日 18:04 ・・・・・藻場にオオウミウマが出た!!

2018年2月19日 21:35 ・・・・・灯台下暗し

2018年2月18日 20:08 ・・・・・カノコウロコウミウシが出たー!!

2018年2月17日 17:15 ・・・・・明日から潜り倒します!!

2018年2月14日 17:48 ・・・・・アオサ取り

2018年2月11日 16:46 ・・・・・第25回やまねこマラソン

2018年2月 8日 22:48 ・・・・・浚渫船

2018年2月 5日 17:46 ・・・・・陸にいると・・・

2018年2月 4日 16:45 ・・・・・水の中の方が快適です

2018年2月 3日 17:37 ・・・・・雨ニモマケズ風ニモマケズ

2018年2月 1日 21:22 ・・・・・ライフジャケット着用義務化

2018年1月31日 17:38 ・・・・・武者修行2日目

2018年1月30日 17:46 ・・・・・武者修行1日目

2018年1月28日 21:02 ・・・・・エスコートツアー in 西表島

2018年1月24日 17:32 ・・・・・組み合わせ自由な島内観光♪

2018年1月22日 21:21 ・・・・・つーじー 来島!!

2018年1月21日 21:34 ・・・・・本日 晴天なり。

2018年1月18日 20:32 ・・・・・オニヒトデ駆除作業&タグ付きのカメ

2018年1月16日 16:10 ・・・・・浦内川魚類調査 冬の陣

2018年1月15日 16:51 ・・・・・マクロネタ 充実してます♪

2018年1月14日 18:23 ・・・・・モエギ合宿

2018年1月13日 21:37 ・・・・・7年越しの記憶

2018年1月12日 14:42 ・・・・・仮死状態の魚たち レプトケファルスも出たぞ!!

2018年1月11日 21:05 ・・・・・港のロープ撤去

2018年1月10日 08:03 ・・・・・大収穫な1日

2018年1月 7日 19:43 ・・・・・今「ハナゴイの根」がアツい!!

2018年1月 6日 17:40 ・・・・・新年初ダイブ!!

2018年1月 6日 03:35 ・・・・・冬の潮

2018年1月 4日 17:40 ・・・・・新年会

2018年1月 1日 13:30 ・・・・・謹賀新年

2017年12月31日 22:30 ・・・・・2017年を振り返る

2017年12月30日 22:01 ・・・・・2017年 潜り納め

2017年12月28日 18:44 ・・・・・年の瀬ですね。

2017年12月27日 21:05 ・・・・・カマス リベンジ!!

2017年12月26日 20:24 ・・・・・カマスどこ行ったー??

2017年12月25日 17:25 ・・・・・仲間川&由布島観光ツアー

2017年12月23日 21:03 ・・・・・サンゴ礁保全活動

2017年12月22日 15:05 ・・・・・崎山尽くし!!

2017年12月21日 18:08 ・・・・・ダイビング再開!!

2017年12月18日 18:48 ・・・・・第13回白浜芸能祭

2017年12月15日 10:45 ・・・・・芸能祭まであと1日

2017年12月11日 18:20 ・・・・・西表島へ戻りました

2017年11月29日 11:44 ・・・・・新世代ガイドブログ

2017年11月28日 17:28 ・・・・・見事な紅葉です

2017年11月26日 17:40 ・・・・・みっちり4ダイブ & 休業のお知らせ

2017年11月24日 19:48 ・・・・・パンダツノウミウシ!!

2017年11月22日 23:07 ・・・・・スペシャルなポイント

2017年11月21日 23:43 ・・・・・遊びすぎた...(^_^;)

2017年11月20日 23:39 ・・・・・汽水域から外洋まで

2017年11月19日 22:59 ・・・・・島内観光

2017年11月18日 18:35 ・・・・・メンテナンスいろいろ

2017年11月16日 11:54 ・・・・・アメリカハマグルマ

2017年11月15日 22:43 ・・・・・青年学級・西表を食べよう

2017年11月14日 17:43 ・・・・・ホソカマス

2017年11月13日 22:24 ・・・・・サンゴ礁保全活動(オニヒトデ駆除作業)

2017年11月12日 18:22 ・・・・・鍾乳洞

2017年11月11日 19:24 ・・・・・節祭 → ファンダイブ → 大原中体験ダイビング

2017年11月 8日 18:29 ・・・・・イザリ

2017年11月 7日 18:20 ・・・・・リングアイジョーフィッシュyg

2017年11月 5日 17:25 ・・・・・連休最終日

2017年11月 4日 16:26 ・・・・・400本記念ダイブ☆

2017年11月 3日 20:05 ・・・・・崎山で潜り尽くそうキャンペーン

2017年11月 2日 21:00 ・・・・・AOW講習 2日目

2017年11月 1日 22:32 ・・・・・AOW講習

2017年10月30日 16:15 ・・・・・メンテナンス&勉強

2017年10月29日 21:06 ・・・・・Happy Halloween♪

2017年10月28日 15:31 ・・・・・FRP作業

2017年10月27日 10:37 ・・・・・台風22号&お知らせ

2017年10月26日 17:59 ・・・・・ピナイサーラの滝

2017年10月26日 08:33 ・・・・・無事メンテナンス終了です

2017年10月24日 22:37 ・・・・・オイル交換&ペンドック

2017年10月22日 20:17 ・・・・・白浜小学校 運動会

2017年10月21日 21:28 ・・・・・台風21号 最新情報

2017年10月20日 21:45 ・・・・・念には念を・・・入れすぎかな?

2017年10月19日 17:56 ・・・・・茶館 コピエ

2017年10月18日 21:50 ・・・・・カメと記念写真 撮り放題☆

2017年10月17日 18:41 ・・・・・スペシャルなポイントへ!!

2017年10月16日 18:18 ・・・・・サンゴ礁保全活動 その2

2017年10月14日 15:53 ・・・・・OFFです

2017年10月13日 18:05 ・・・・・サンゴ礁保全活動

2017年10月12日 16:10 ・・・・・驚きの透明度!

2017年10月11日 22:40 ・・・・・マリンスタッフ講習会

2017年10月10日 19:25 ・・・・・ポイント利用率 NO.1

2017年10月 9日 21:32 ・・・・・崎山・網取へ!!

2017年10月 8日 17:45 ・・・・・時間が足りません

2017年10月 7日 18:40 ・・・・・小笠原では見れない生物

2017年10月 6日 23:01 ・・・・・セソコテグリyg

2017年10月 5日 21:54 ・・・・・再来♪ 再来♪

2017年10月 3日 21:35 ・・・・・条件が良いうちに海へ行っちゃいましょう!!

2017年10月 2日 18:38 ・・・・・浦内川 魚類調査

2017年10月 1日 15:45 ・・・・・10年ぶり?

2017年9月30日 22:33 ・・・・・遊びまくりの1日

2017年9月28日 18:30 ・・・・・調査ダイブ&スノーケルツアー

2017年9月26日 20:47 ・・・・・船置き場の引っ越し作業

2017年9月24日 21:00 ・・・・・西表小中学校 大運動

2017年9月23日 21:16 ・・・・・電池切れ

2017年9月22日 19:23 ・・・・・続・ドローン撮影!!

2017年9月21日 23:05 ・・・・・夢のドローン撮影!!

2017年9月20日 21:41 ・・・・・ビーチ散策&パイン新情報

2017年9月18日 22:22 ・・・・・台風前後の夕焼けはなぜこんなにキレイなのか!?

2017年9月17日 17:21 ・・・・・船浮 大運動会

2017年9月16日 22:20 ・・・・・メンテナンス&敬老会

2017年9月15日 18:48 ・・・・・養生解除です

2017年9月14日 18:18 ・・・・・台風は通り過ぎましたが・・・

2017年9月13日 22:47 ・・・・・台風18号情報

2017年9月12日 17:30 ・・・・・粘り勝ち

2017年9月11日 21:13 ・・・・・嵐の前のベタ凪

2017年9月10日 20:11 ・・・・・崎山3本!!

2017年9月 9日 19:59 ・・・・・超のんびりツアー

2017年9月 8日 19:20 ・・・・・体験ダイビングでカメ!

2017年9月 5日 21:27 ・・・・・PC不調です

2017年9月 4日 20:57 ・・・・・ダブルヘッダー

2017年9月 2日 00:16 ・・・・・ホカケハナダイ疑惑

2017年8月31日 20:51 ・・・・・調査ダイブ

2017年8月30日 21:23 ・・・・・スペシャルな1日

2017年8月29日 21:32 ・・・・・10日ぶりのダイビング&番宣です!!

2017年8月28日 10:24 ・・・・・干立ウニファー祭り&砂浜芸能祭

2017年8月26日 23:57 ・・・・・助っ人ガイド

2017年8月25日 22:31 ・・・・・スノーケルの傭船

2017年8月20日 21:16 ・・・・・スマホケース

2017年8月19日 21:05 ・・・・・予想通りのベタ凪&Newポイントのご案内

2017年8月18日 21:26 ・・・・・メンテナンスDay

2017年8月16日 18:00 ・・・・・マクロオンリーのダイビング!!

2017年8月15日 15:29 ・・・・・1ランク上のスノーケルツアー

2017年8月13日 22:18 ・・・・・突然のお誘い

2017年8月13日 09:58 ・・・・・ダイビング × 花火 × ペルセウス座流星群

2017年8月12日 12:19 ・・・・・石垣島→浜島→鳩間島→西表島 スペシャル周遊ツアー

2017年8月 8日 20:43 ・・・・・ファミリー向けスノーケルツアー

2017年8月 8日 20:18 ・・・・・超マクロツアー

2017年8月 7日 07:45 ・・・・・夏休みスペシャルツアー!!

2017年8月 4日 21:05 ・・・・・新しい発見!

2017年8月 2日 22:42 ・・・・・長寿台風

2017年7月29日 18:18 ・・・・・台風真っ只中ですが・・・台風10号発生(T-T)

2017年7月27日 23:01 ・・・・・ファミリー向け スノーケルツアー

2017年7月25日 22:16 ・・・・・本物の凪

2017年7月20日 21:29 ・・・・・今年1番が出ちゃったかも!?

2017年7月19日 18:26 ・・・・・10日分のログです!

2017年7月14日 08:11 ・・・・・1週間ぶりです

2017年7月 7日 06:17 ・・・・・新世代ガイドブログ更新です

2017年7月 5日 22:41 ・・・・・今日は体験ダイビング!

2017年7月 3日 21:06 ・・・・・台風3号 ナンマドル

2017年7月 1日 22:37 ・・・・・小笠原の友人Sくん 来島!

2017年6月25日 20:22 ・・・・・スノーケルツアーのお手伝い

2017年6月23日 22:34 ・・・・・石垣島にてメンテナンス

2017年6月22日 23:23 ・・・・・フリーダイビングツアー 2日目

2017年6月21日 21:19 ・・・・・フリーダイビングツアー

2017年6月19日 22:30 ・・・・・週末の海遊び

2017年6月16日 00:37 ・・・・・新世代ガイドブログ 更新

2017年6月14日 11:57 ・・・・・船の整備 時々 ピーチパイン

2017年6月10日 21:22 ・・・・・新艇 Anemone号

2017年6月 1日 17:51 ・・・・・遊びなーら 本格始動!!

2017年5月12日 18:03 ・・・・・遊びなーら オープン!!

友だち追加

〒907-1542 沖縄県 八重山郡 竹富町 字西表 1499-23  TEL:080-6480-4623


西表島 ダイビングセンター 遊びな~ら Copyright (c) 2017 ashibina-ra. All Rights Reserved.